De laatste tijd waren het vaak de Southern Plains die aan de beurt waren met zwaar onweer, maar vandaag is dit voor het noorden bestemd. Een lagedrukgebied voert vanuit het noorden koude lucht aan en botst in de Northern Plains met de warme, vochtige lucht uit het zuiden. Gedurende de dag en avond zullen er zware buien gaan ontstaan in het westen van Minnesota en het oosten van de Dakotas. Deze buien verplaatsen zich dan naar noord Kansas.
10% tornado kans:


Afbeeldingen: Accuweather en spc.noaa.gov

EDIT: Het kon eigenlijk niet missen, de bovenstaande cell heeft intussen een flinke tornado op de gron gezet. Veel live chasers die de tornado in beeld hebben momenteel!
| Gewijzigd: 23 mei 2010, 01:21 uur, door Narmolanya
En nu ligt de stream er uit.. :}
EDIT:
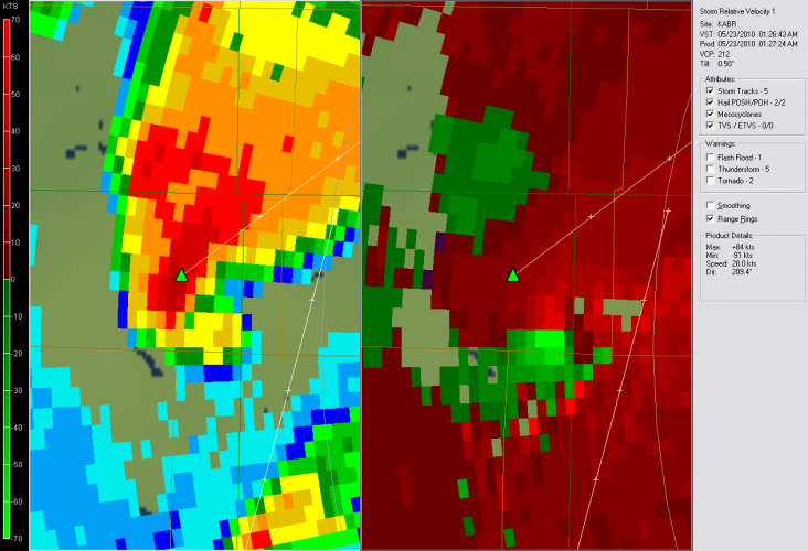
Links de BR1 en rechts de SRV1

Check deze stream, een enorme tornado op de grond onder de wallcloud.

EDIT: Tornado lijkt recht op het stadje Bowdle af te stevenen... | Gewijzigd: 23 mei 2010, 01:39 uur, door Narmolanya
"At 640 PM CDT...local law enforcement reported a tornado over west
central Pecos county...or 22 miles west of Fort Stockton...moving
northeast at 15 MPH. "
"At 640 PM CDT...local law enforcement reported a tornado over west
central Pecos county...or 22 miles west of Fort Stockton...moving
northeast at 15 MPH. "
Vanmorgen was hier nog 2% kans ingetekend.
Vanochtend stond die er inderdaad nog, maar in de laatste update was die geheel verdwenen.
| Gewijzigd: 23 mei 2010, 02:03 uur, door Narmolanya
Dit wás een funnel.. heeft de grond niet geraakt.
:D
EDIT: Schitterend.
:P
Dus hierbij..
:P
<Michaeltje> zal ik wel scheel hebben gekeken denk ik
<Michaeltje> leek er verdomd veel op
--- 3.34
<Michaeltje> ik ga commentaar krijgen morgen van gn
<Michaeltje> hahaha
<+Heaven> Hoezo?
<Michaeltje> maaruh heaven
<Michaeltje> ja omdat ik dat van reed zei
<Michaeltje> hahaha
<Michaeltje> maar heaven
<Michaeltje> er komt nog een flinke aan zegt mijn gevoeg
<Michaeltje> gevoel
<Michaeltje> tis echt een megagrote supercell nu
<+Heaven> Het moet gewoon..
<Michaeltje> HOPPA!!!!! tornado warning nr 5
<Michaeltje> hele grote warning nu
<Michaeltje> vor 3 staten

<Michaeltje> Tornado 2010-05-22 23:37:00 UTC 0 miles NE of Bowdle, SD Wedge Tornado just north of town.
<Michaeltje> Tornado 2010-05-22 23:33:00 UTC 1 miles NNE of Bowdle, SD Large violent wedge tornado in progress northwest of Bowdle.
<Michaeltje> Tornado 2010-05-22 23:27:00 UTC 3 miles W of Bowdle, SD Large Tornado, hit a home, minimal damage to home, trees 100 yds from home completely shreded, intesified rapidly after initial touchdown it would appear still on the ground to my nw
<Michaeltje> Tornado 2010-05-22 23:22:00 UTC 7 miles WSW of Bowdle, SD .5 mile west, downed power lines
<Michaeltje> Tornado 2010-05-22 23:21:00 UTC 5 miles W of Bowdle, SD None
<Michaeltje> Tornado 2010-05-22 23:21:00 UTC 7 miles WSW of Bowdle, SD Cone tornado cross road just in front of us. Has now went back up. Was on the ground for approx. 2 mins. No damage that I can see.
<Michaeltje> Tornado 2010-05-22 23:20:00 UTC 7 miles WSW of Bowdle, SD None
<Michaeltje> 9 dus in totaal vannacht
<Michaeltje> We hebben de bui zien groeien, zien splitsen, bij elkaar zien komen en af zien bouwen
<Michaeltje> en in tussentijd mooie tornado's gezien
* +Heaven high fived Michaeltje
<+Heaven> Helemaal!
<+Heaven> Veni, Vini, Vici
<Michaeltje> waaronder de mooiste van Marcus en jou
<Michaeltje> veni, vidi, vici
<Michaeltje> d
<Michaeltje>
<+Heaven> Owja
* Michaeltje high fived Heaven back
Overigens wel meldingen van veel schade aan boerderijen en powerlines...
Check deze stream, een enorme tornado op de grond onder de wallcloud.
[attachment=37283:tornadob...052010_2.JPG]
EDIT: Tornado lijkt recht op het stadje Bowdle af te stevenen...
Deze en die van heaven die ze gespot had met 2 tornado's 1 funnel waren de mooiste van de nacht.
Edit: deze dus hoe tie was bij 18sec:
| Gewijzigd: 23 mei 2010, 04:29 uur, door SchumiM1986
[USA] Tornado/onweersverwachting 22 mei




