Regen- en onweersbuien behorende bij een lagedruk gebied liggen op 805 km ten zuid-zuidoosten van Acapulco (Mexico). Het systeem heeft zich in de afgelopen uren niet meer georganiseerd. Echter de circulatie van het laag is beter zichtbaar. De omgevingsfactoren zijn gunstig voor het ontwikkelen tot een tropische depressie. Het systeem heeft een grote kans (60%) om in de komende 48 uur uit te groeien tot een tropische cycloon.


© onweer-online
Bron: NOAA, Wunderground
Daniel heeft nog niet de kans gehad om zijn hielen te lichten of Emilia dringt zich naar de voorgrond. Emilia is de vijfde tropische storm van het seizoen in de Stille Oceaan. Voorlopig zal Emilia boven de oceaan blijven.
Data: 03.00 UTC
- Lokatie: 930km ten zuicen van Manzanillo en 775 km ten zuid-zuidwesten van Acapulco
- Windsnelheden: 65 km/h
- Traject: west-noordwestwaarts met een snelheid van 26 km/h.
- Druk: 1003 mb
Discussie
Alhoewel de convectie nabij het centrum niet erg diep is, is de bandenstructuur wel degelijk indrukwekkend te noemen. In de komende twee tot drie dagen neemt Emilia verder in kracht toe. Hierbij zal zij niet gehinderd worden door enige tegenwerkende omgevingsfactoren. Emilia zal binnen 36 uur een orkaan worden. Op beelden is een convectieve ring te zien rond het centrum. Dit is een indicatie voor een snelle intensivering van het systeem. Het goede nieuws voor Mexico is de krachtige rug (van hogedruk) ten noorden van Emilia. Deze rug zorgt ervoor, dat de cycloon naar het west-noordwesten wordt geduwd, van de kust van Mexico af.

© onweer-online
Bron: Wunderground
Emilia lag om 09.00 UTC op 1225 km ten zuiden van Baja California. De windsnelheden bedragen 120 km/h en is hiermee een orkaan van de eerste categorie geworden. De orkaan trekt naar het west-noordwesten met een snelheid van 19 km/h. De druk bedraagt 987 mb. De wind van orkaankracht is voelbaar tot 30 km vanuit het centrum. De wind met tropische stormkracht is tot 130 km vanuit het centrum merkbaar. Emilie zal vermoedelijk in de komende dagen uitgroeien tot een major hurricane (cat. 3 of hoger), maar vormt geen bedreiging voor land.



© onweer-online
Bron: NOAA, Wunderground
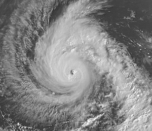
Emilia op maandagavond bron NASA
Emilia is inmiddels uitgegroeid tot een major hurricane (categorie 4). Om 9.00 UTC lag ze op 1095 km ten zuid-zuidwesten van de zuidelijke punt van Baja California. De windsnelheden bedragen 220 km/h. Emilia trekt verder naar het west-noordwesten met een snelheid van 19 km/h. Ze vormt geen bedreiging voor land. De druk bedraagt 945 mb.
Emilia is sinds de vorige update aanzienlijk in kracht toegenomen. Er is een duidelijk gevormd oog ingebed in het centrum van de circulatie. De wolkentoppen hebben een temperatuur van -70F.


© onweer-online
Bron: Wunderground
Emilia is inmiddels weer afgezwakt naar een categorie 2 orkaan. Ze volgt Daniel in zijn voetsporen. Echter heeft Daniel geen enkele koude veroorzaakt, omdat Emilia haar kracht als orkaan heeft kunnen behouden. Maar dit zal niet van lange duur zijn. Emilia gaat over kouder water tekken en komt hierbij een toenemende zuidoostelijke windshear tegen.
Data 09.00 UTC
Locatie: 1160 km ten zuidwesten van de zuidelijke punt van Baja California
Traject: west-noordwestwaarts met een snelheid van 17 km/h.
Druk: 970 mb


© onweer-online
Bron: Wunderground
De kracht van Emilia schommelt behoorlijk. In de laatste paar uur is het systeem weer versterkt tot een categorie 3 orkaan. Maar dit zal niet lang duren. Emilia lag om 15.00 UTC op 1485 km ten zuidwesten van de zuidelijke punt van Baja California. De windsnelheden bedragen 185 km/h. Emilia trekt nog steeds naar het westen met een snelheid van 19 km/h. De orkaan heeft een duidelijk zichtbaar oog, welke omgeven wordt door een ring van zeer diepe convectie. Er zijn geen banden aanwezig.

© onweer-online
Bron: NOAA, Wunderground
Lokatie: 1770 km ten west-zuidwesten van de zuidelijk tip van Baja California. De windsnelheden bedragen 110 km/h. Het systeem beweegt richting het westen met een snelheid van 22 km/h. De druk bedraagt 991 mb.
Emilie neemt snel in kracht af. De enige diepe convectie zit alleen nog in het zuidelijke deel van de circulatie. Het is mogelijk, dat Emilia snel afzwakt, omdat ze iets ten noorden van het traject van Daniel gaat. De bewegingssnelheid van het systeem is wel iets toegenomen.

© onweer-online
Bron: Accuweather
Berichtgeving TC Emilia (Pacific)







