
Bron: Twitter Eric Fisher | Gewijzigd: 15 september 2012, 14:23 uur, door Ries
Via George Kourounis

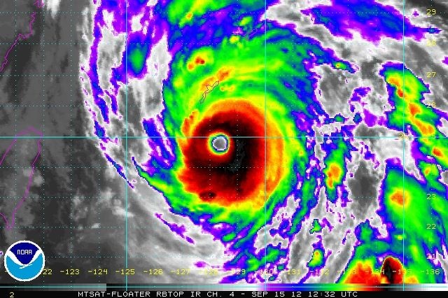
Satellietbeeld van Sanba van 14 SEP 2012 06:00UTC - 16 SEP 2012 06:00UTC
Twitter via: 向日葵(伽名)or伽羅かまち

| Gewijzigd: 16 september 2012, 08:58 uur, door Marga


TY 1216 (SANBA)
Issued at 06:45 UTC, 16 September 2012
<Analyses at 16/06 UTC>
- Scale: Large
- Intensity: Very Strong
- Center position: N28°50' (28.8°) E128°05'(128.1°)
- Direction and speed of movement : N 30km/h(16kt)
- Central pressure: 930hPa
- Maximum wind speed near the center: 45m/s (90kt)
- Maximum wind gust speed: 65m/s (130kt)
- Area of 50kt winds or more: E 260km (140NM) W170km (90NM)
- Area of 30kt winds or more: E 560km (300NM) W500km (270NM)
- Scale: Large
- Intensity: Very Strong
- Center position: N29°05' (29.1°) E 128°05' (128.1°)
- Direction and speed of movement: N 30km/h (16kt)
- Central pressure: 930hPa
- Maximum wind speed near the center: 45m/s (90kt)
- Maximum wind gust speed: 65m/s (130kt)
- Area of 50kt winds or more; E260km (140NM) W170km (90NM)
- Area of 30kt winds or more: E560km (300NM) W500km (270NM)
<Forecast for 16/18 UTC>
- Intensity: Very Strong
- Center position of probability circle: N31°55'(31.9°) E127°40'(127.7°)
- Direction and speed of movement: N 30km/h (16kt)
- Central pressure: 940hPa
- Maximum wind speed near the center: 45m/s (85kt)
- Maximum wind gust speed: 60m/s (120kt)
- Radius of probability circle: 90km (50NM)
- Storm warning area: E310km (170NM) W240km(130NM)
<Forecast for 17/06 UTC>
- Intensity: Strong
- Center position of probability circle: N35°20'(35.3°) E127°55'(127.9°)
- Direction and speed of movement: N 30km/h (17kt)
- Central pressure: 950hPa
- Maximum wind speed near the center: 40m/s (80kt)
- Maximum wind gust speed: 60m/s (115kt)
- Radius of probability circle: 160km (85NM)
- Storm warning area: E350km (190NM) W280km (150NM)
<Forecast for 18/06 UTC>
- Intensity - LOW
- Center position of probability circle: N44°30' (44.5°) E131°20' (131.3°)
- Direction and speed of movement: N 45km/h (24kt)
- Central pressure: 994hPa
- Maximum sustained wind speed: 20m/s (40kt)
- Maximum wind gust speed: 30m/s (60kt)
- Radius of probability circle 330km (180NM)
James Reynolds @typhoonfury 21h
Eye clearing out on satellite, if maintains strength & makes landfall like forecast, wherever eyewall hits will be hell on earth
James Reynolds @typhoonfury 21h
I'm in Naha waiting for #typhoon #Sanba. Will likely relocate around midnight local to east coast, expecting landfall around 7am
James Reynolds @typhoonfury 21h
CIMMS ADT suggesting #Sanba a cat. 4 T6.3 - 122kts, certainly getting that look to it -
James Reynolds @typhoonfury 20h
Watch out Okinawa, this storm is in a different bracket to Bolaven -

James Reynolds @typhoonfury 20h
Eye of #typhoon #Sanba now on JMA's Okinawa radar, one word.... BEAST -
James Reynolds @typhoonfury 18h
#Sanba's eye continues to clear on satellite, not good, indicates strengthening -

James Reynolds @typhoonfury 17h
Prob last image I'll post for a while, this shot says it all really..

James Reynolds @typhoonfury 11h
Safely in Higashi, arrived just in time, mayhem ensuing! #typhoon #Sanba
James Reynolds @typhoonfury 9h
In exact middle of eye of #typhoon #Sanba in Higashi, it couldn't have come soon enough. That eyewall was HELL

James Reynolds @typhoonfury 8h
Backed of eyewall starting to punch through now, winds picking up from complete calm.
James Reynolds @typhoonfury 8h
Washing raw sewage off my tripod and boots, this is not a glamorous job...
James Reynolds @typhoonfury 7h
@reedtimmerTVN eye was right over Okinawa since I was in middle of it! :p mayhem doesn't come close to describing the eyewall!
James Reynolds @typhoonfury 7h
Road I came into Higashi on 15 mins before eyewall hit, a mess!

James Reynolds @typhoonfury 6h
My shelter during #Sanba, 10m from shore, just high enough from the surge! Rental car rescued at last mi

James Reynolds @typhoonfury 6h
@NHCDirector the northern eyewall was far more violent than back end, worst moving away now luckily!
James Reynolds @typhoonfury 8m
Back in hotel room in one piece, things were decidedly tense during the height of #typhoon #Sanba

Gepubliceerd op 15 sep 2012 door teacherphillipwest
After taking a beating throughout most of the night from Typhoon Sanba, dawn's first light reveals a furious storm lashing the cliff beneath and alongside my home in Okinawa.
Gepubliceerd op 15 sep 2012 door wettermagdeburg
First Webcam Pictures of Typhoon Sanba hitting Okinawa. Should be the time were the "eye" passed by...
Gepubliceerd op 15 sep 2012 door Patrick Russell
Typhoon Sanba is really packing a punch the wind gusts are well over 120 MPH. My whole house is shaking from the sheer force of the wind! Hope you enjoy! I shot this video with the JVC action cam
Gepubliceerd op 15 sep 2012 door swoonproject
Gepubliceerd op 15 sep 2012 door TheBasstead1
Short video demonstrating the power of Typhoon Sanba in Okinawa. Wind speeds at the time of footage are 110 knots sustained with 130 knot gusts. That is the equivalent of 125 MPH sustained with 150 MPH gusts. You can feel the pressure in your ears.
Tyfoon Sanba richt de pijlen nu op Zuid Korea, nadat de tyfoon recht over Okinawa is getrokken. Sanba kwam om 6:30 a.m. zondag (lokale tijd) aan land in het noordoosten van Okinawa. Het oog besloeg bijna de helft van het hele eiland. Er zijn (nog) geen berichting binnen gekomen van schade en/of slachtoffers op Japan.
Sanba trekt verder naar het noorden met een snelheid van 30 km/h. De windsnelheden bedragen 194 km/h met windstoten tot 241 km/h. Sanba is op koers om Zuid Korea binnen een paar dag vol te treffen. Sanba heeft na passage de status van supertyfoon verloren en is afgezwakt tot een categorie 2 tyfoon.
De mensen in Okinawa en in de rest van de Ryukyu archipel hadden zich goed voorbereid op deze tyfoon. De infrastructuur op het eiland Okinawa is erop gemaakt om zware stormen en tyfonen te doorstaan. Maar de stormvloed kan altijd voor problemen zorgen.


© onweer-online
Bron: Wunderground
Sanba heeft ervoor gezorgd, dat tienduizenden mensen in het zuidwesten van Japan zonder stroom zitten. Al het verkeer over zee en door de lucht is tot een volledige stilstand gekomen.
Bron: ABc
Weather Channel
Gepubliceerd op 16 sep 2012 door TyphoonHunter
Typhoon Sanba Unleashes Mayhem on Okinawa Japan 台風第16号 (サンバ) 沖縄県. Raw footage as typhoon Sanba smashed into Okinawa Japan early on 16th September 2012.

Zuid Korea zet zich vandaag schrap voor de derde tyfoon binnen twee maanden. Scholen zijn gesloten, veerdiensten zijn gestaakt en duizenden schepen zoeken beschutting in de havens.
Tyfoon Sanba - met windstoten tot 48 m/s - trekt richting het nooren met een snelheid van 26 km/h. Door de tyfoon is één persoon om het leven gekomen. één persoon wordt vermist en zijn vier anderen gewond geraakt in het zuidwesten van Japan, meldt het Kyodo Nieuwsagentschap. Zeker 100.000 huishoudens en bedrijven zitten zonder stroom.
Sanba zal het resort eiland Jeju in het zuiden van Zuid Korea op maandagmorgen (lokale tijd) bereiken. Maandagavond wordt de tyfoon aan land verwacht. Volgens de autoriteiten moeten de inwoners rekening houden met zware windstoten en hevige regenval. Er wordt in de kustgebieden tot 300ml regen verwacht. Ongeveer 4.800 schepen in de havenstad Yeosu zijn uit voorzorg uit naar elders verplaatst. De stad en de gebieden rondom de stad zijn in hoogste staan van paraatheid. De scholen in Jeju zijn maandag gesloten. Op dinsdag zullen ook de scholen sluiten in de zuidelijke regio's van het schiereiland.
© onweer-online
Bron: Bangkok Post
Satellietbeeld: CIMSS / SSEC
De doortocht van de tyfoon Sanba in het zuiden van Japan heeft aan een man het leven gekost. Een andere man wordt nog steeds vermist. De tyfoon veroorzaakte verkeersellende en stroompannes. Een 83-jarige overleed nadat hij van het dak van zijn huis in Nagasaki was gevallen. Hij wilde er voorbereidingen treffen voor de komst van de tyfoon, de zestiende al dit seizoen. Een 29-jarige vermist werd niet meer teruggezien nadat hij ging snorkelen voor de kust van Ishigaki, in Okinawa.
Vluchten afgelast
Om 10 uur lokale tijd bevond Sanba zich op 110 kilometer ten westen van de kust van Tsushima en trok hij tegen 30 kilometer per uur richting het Koreaanse schiereiland. Meer dan 100.000 gezinnen in Okinawa en Kyushu moesten het een poosje zonder stroom doen. Honderden vluchten werden afgelast.
Bron: HLN | Gewijzigd: 20 februari 2017, 12:44 uur, door Joyce.s
Zondagmorgen kwam Sanba op het Japanse eiland Okinawa aan met extreem zware wind(stoten) en hevige regenval. Maandag kwam Sanba voor de tweede keer aan land, maar dit keer in Zuid Korea. De tyfoon was inmiddels wel afgezwakt tot een tropische storm. Sanba, de meest krachtige tyfoon van dit seizoen overspoelde het eiland Okinawa met regenval van meer dan 2,5 cm neerslag per uur. De combinatie van hevige regenval, stormvloed en hoge golven leidde tot overstromingen. Echter is er geen grote schade ontstaan op het eiland. Okinawa is goed voorbereid op zware tyfonen door hoge zeewallen en andere preventieve maatregelen.

Radarbeeld van mandagavond van de meteorologische dienst van Zuid Korea
In de stad Jeju op het toeristische eiland Jeju kwam er volgens de Korean Times een neerslaghoeveelheid van maar liefst 81cm naar beneden. Momenteel regent her nog hard in delen van Zuid Korea terwijl Sanba het oosten van het land verlaat richting de Japanse zee. Sanba blijft een dreiging vormen. Zelfs tot in het zuidoosten van Rusland wordt hevige regenval verwacht.
© onweer-online
Bron: Accuweather
Berichtgeving TS Sanba / Karen (WestPacific)









