Extensive tornado damage in Southeastern Wisconsin
Date of tornado outbreak: January 7–11, 2008
Duration: 3 days, 11 hours, 48 minutes
Maximum rated tornado: EF-3 tornado
Tornadoes caused:75 confirmed
Highest winds: ?
Largest hail: ?
Damages: $88 million (+ $41 million non–tornadic)
Fatalities: 4
Areas affected: Parts of the Central and Southern United States
Bron: Wikipedia | Gewijzigd: 17 februari 2017, 13:35 uur, door Joyce.s
De tornado-uitbraak in januari 2008 was een ongebruikelijk sterke tornado uitbraak, die begon op 7 januari 2008 en bijna vier dagen lang duurde. De zwaarst getroffen gebieden waren zuidwestelijk Missouri, noordwestelijk Arkansas en het omliggende gebied. Bovendien zorgde een sterke supercell in Noord Illinois en Wisconsin d'Azur voor de eerste januari tornado's sinds 1967. Op 8 januari ontstonden er meer tornado's in de Mississippi Vallei. Na een onderbreking in de activiteit op 9 januari volgde een tweede ronde van noodweer. Deze vond op 10 januari plaats in de zuidelijke Verenigde Staten (voornamelijk Alabama en Mississippi). Er werden op die dag meerdere tornado's gemeld, waarbij die dag geen slachtoffers vielen. In totaal werden er over 4 dagen 74 tornado's bevestigd en waren er vier dodelijke slachtoffers te betreuren.
Schade van 1 van de zwaarste tornado's van de uitbraak
freybearfreakfan
Meteorologische synopsis
Een ongebruikelijk warme luchtmassa hing over delen van Centraal- en Oost-Noord-Amerika met recordhoogtes voor een groot deel van de regio. In de periode van van 7 januari tot 9 januari werden verschillende records voor hoge temperaturen gebroken in verschillende staten van de USA en in de Canadese provincies. De temperaturen schoten omhoog naar zo'n 25°C zo ver als de Ohio-vallei met dauwpunten tussen de (14–17 °C). Deze zorgden voor extra brandstof met betrekking op ontwikkeling van stormen. Daarnaast werden in veel gebieden in de buurt van de Great Lakes temperaturen van 17-20 °C bereikt, waardoor de noordelijke cellen zich vormden. Ondertussen bereikten de temperaturen in Zuid-Ontario en Quebec nabij de grens tussen Canada en de USA de 16 °C.

Tornado tracks across Southern Missouri on January 7–8 (Courtesy of NWS Springfield, Missouri)
Een sterk lagedrukgebied boven de centrale Great Lakes en het bijbehorende koufront gecombineerd met intense wind shear zorgden voor gunstige situaties voor het ontstaan van supercellen. Hoewel er slechts matige instabiliteit was - wat betekende, dat slechts een gering gevaar / slight risk van noodweer werd uitgegeven door de Storm Voorspelling Center/SPC en de aanvankelijk slechts geringe waarschijnlijkheid voor zwaar weer- , ontwikkelden zich gedurende de dag supercells boven het midden van de USA. In de avond en nacht bleef de activiteit aanhouden tot ver in de ochtend van 8 januari. Het zwaarst getroffen gebied waren de Ozarks rond Springfield, Missouri, waar zich bijna continu supercells ontwikkelden gedurende de avond. Het resultaat waren talrijke tornado touchdowns. Naast de tornado's vielen er hagelstenen groter dan honkballen en ontstonden er schadelijk lineaire downburst winden zo sterk als 100 mph (160 km/h). Ten minste drie mensen werden gedood in Missouri als gevolg van de tornado's. Twee van deze sterfgevallen deze zich voor in de buurt van Marshfield en er vielen ook zes gewonden.
Verder naar het noorden nabij Chicago en Milwaukee kwamen er krachtige tornado's aan de grond. Er ontstond zware wijdverspreide schade langs de grans tussen Wisconsin en Illinois. Tevens vielen er meerdere gewonden. Ook Michigan ontsprong de dans niet. Hier ontstonden krachtige cellen en buienlijnen. Er werden zeldzame tornado warnings afgegeven voor de centrale delen van Lower Michigan. Knetterende onweersbuien werden in de avond van 7 januari gemeld in het noorden, midden en zuiden van Ontario. Tornado watches golden in een gebied van het oosten van Oklahoma tot het zuidwesten van Ontario.

Storm Prediction Center Convective Outlook showing the moderate risk zone for severe weather for Mississippi and Alabama on January 10, 2008 (Courtesy of NWS Birmingham, Alabama)
Op 8 januari verschoof de activiteit over het midden van de Mississippi Vallei. Tornado watches werden afgegeven voor grote delen van Arkansas en Tennessee en later ook in de Ohio Vallei nabij Columbus, Ohio en Dayton. De watches waren geldig tot de vroeg ochtenduren van 9 jarnuari. Een krachtige tornado in Pope County (Arkansas) doodde één persoon. Ook werden tornado's gemeld net te westen van Memphis. In de loop van de dag ontstond er een krachtige buienlijn, die liep van de Ohio Vallei tot in Alabama. Er werd zelfs onweersgerelateerde windschade gemeld in New York en het westen van Pennsylvania.

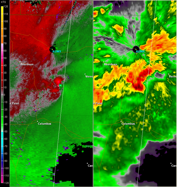
NEXRAD storm-relative wind velocity and base reflectivity images of a supercell tornadic thunderstorm near Caledonia, Mississippi on January 10, 2008 (courtesy of NWS Jackson, Mississippi).
Na een luwte op 9 januari zorgde een apart systeem in het zuiden van de USA voor nog meer extreem weer. Deze zorgde voor 10 januari voor nog meer tornado's. Een moderate risk werd uitgegeven door het SPC. De buien ontwikkelden zich boven Louisiana en Mississippi en trokken in de middag richting Alabama. Ook in het midden en oosten van Kentucky ontstonden er zware buien. Het gebied van de tornadowatch besloeg een strook van Kentucky tot het oosten van Louisiana en later tot in Georgia. Een specifieke bui produceerde meerdere tornado's in Attala County en nabij Starkville. Hier ontstond schade aan gebouwen. Rond 2.20 pm CDT werd een tornadowarning afgegeven voor Lamar County (Alabama). Er werd flinke structurele schade gemeld in Caledonia (Mississippi). Later werd een tornado waargenomen in het centrum van Vernon. Meerdere tornado's werden waargenomen van het zuidoosten van Mississippi tot het noorden van Tuscaloosa. In het noordoosten van Tuscaloose county ontstond zware schade. Meer stabiele lucht verminderde het potentiaal voor extreem weer. Aan het noordelijk deel van de storm werd winterweer gemeld: sneeuw, ijzel en ijsregens vielen van Wisconsin tot in Maine.
© onweer-online
Bron: Wikipedia | Gewijzigd: 4 januari 2013, 09:54 uur, door Tatanka
Ricky Knight
January 7, 2008 ...The tornado started at 3:30 pm about 1.2 miles north of Poplar Grove in Boone county and ended at 3:48 pm about 3.2 miles north northeast of Harvard in McHenry county, Illinois. The tornado then moved across the Chicago and Northwestern railroad where it blew 12 railroad freight cars off the track. The train was moving at the time the tornado hit it...so as the main engine stopped...the remaining cars on the track continued along it and slammed into the front part of the train.
Tornado vd maand: Januari 2008 outbreak




