Systeem 92W heeft zich ontwikkeld en heeft een gemiddelde kans tot verdere ontwikkeling. Het systeem ligt op 675 km ten noordoosten van Guam. Het satellietbeeld van 7 juli 11.17 am EDT gemaakt door het MODIS instrument aan boord van de Aqua satelliet van NASA laat een afgeronde circulatie zien met zware onweersbuien rond het centrum. Er is een krachtige convectie rond het centrum. De omgevingsfactoren (lage windshear en warme zeewateren) maakt het mogelijk om het systeem in de komende 48 uur uit te laten groeien tot een tropische depressie en later tot een tropische cycloon.



© onweer-online
Bron: JTWC, NASA
| Gewijzigd: 7 juli 2013, 21:13 uur, door Marga
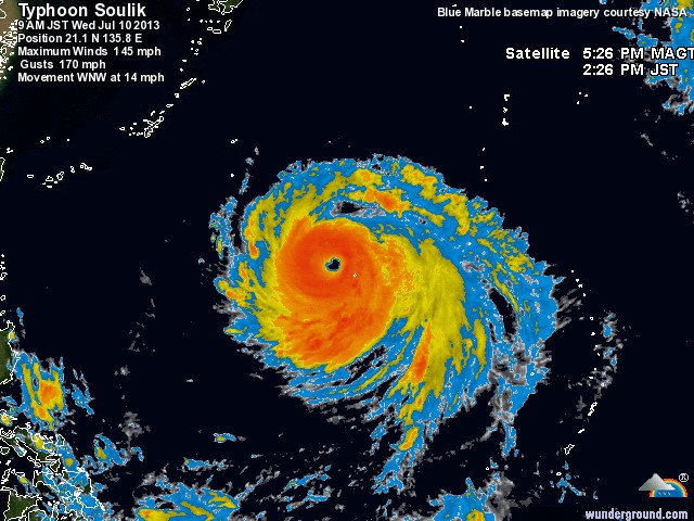
Tropische storm verdiept zich snel. Een "oog" heeft zich nabij het LLCC (low level circulation centre) gevormd. Gestuurd door een subtropische rug trekt het systeem richting het west-noordwesten. De omgevingsfactoren zijn zeer gunstig voor verdere ontwikkeling. Momenteel bevindt Soulik zich op 240 nautische mijl te noorden van Saipan.


© onweer-online
Bron: Wunderground,
De steeds sterker wordende tyfoon Soulik ligt op ramkoers met Taiwan en China. Het systeem zal zeker tot het einde van de week de tyfoon status behouden en het Aziatisch vastenland bereiken. Donderdag wordt de toorn van dit systeem al gevoeld op het Japanse eiland Okinawa. Soulik geselt de inwoners met hard tot zeer harde windstoten en hevige regenval.
Dinsdagmorgen (lokale tijd) werd Soulik een tyfoon met windsnelheden van 75 mph. Het systeem trekt naar het west-noordwesten met een snelheid van 12 mph. De hoge zeewatertemperaturen zorgen ervoor, dat het systeem steeds verder verdiept tot mogelijk een supertyfoon (categorie 3 of hoger). Op of rond vrijdag bereikt Souli het noorden van Taiwan om vervolgens op zaterdag Shanghai aan te doen. Het is nog niet duidelijk wat het systeem gaat doen, nadat deze aan land gekomen is. De mogelijkheid bestaat, dat Soulik het binnenland van China in gaat of dat het systeem een draai maakt naar Korea.
© onweer-online
Bron: Accuweather
Soulik is snel uitgegroeid tot een cycloon van de 4de categorie. De druk bedraagt 925 hPa. De snelheid nabij het centrum ligt op 50 m/s (180 km/h) met windstoten tot 40 m/s (252 km/h). Het system trekt naar het west-noordwesten met een snelheid van 20 km/h.
Soulik ligt op zo'n 546 nm ten zuidoosten van Kadena Airbase. Satellietbeelden laten zien, dat er sprake is van een zeer krachtige tyfoon met een oog van 25 nm diameter. Het systeem blijft richting het west-noordwesten drijven langs de zuidelijke grens van een subtropische rug (str). Door de passage over zeer warme zeewateren en een uitstekende outflow bevordert door een upper-level troggen aan het noordwesten en aan het oosten. Onder invloed van de sturende diepe str trekt het systeem richting het noorden van Taiwan en vervolgens naar China.



© onweer-online
Bron: Wunderground, JMA
Tyfoon Soulik tikt tegen de sypertyfoonstatus (241 km/h of hoger) aan. Het systeem continueert zijn pad westwaarts richting het noorden van Taiwan. Soulik heeft momenteel een gemiddelde windsnelheid van 233 km/h en zal in de komende dagen zijn kracht behouden of zelfs iets krachtiger worden. Net voor het aan land gaan op vrijdag boven Taiwan kan Soulik iets in intensiteit gaan afnemen. Donderdag namiddag en avond (lokale tijd) krijgt het Japanse eiland Okinawa te maken met de buitenste banden van de tyfoon.
Echter het is afnemen in kracht bespaart Taiwan niet voor de levensbedreigende situaties die gaan ontstaan. De wind nabij de kust van het noorden van Taiwan zal windsnelheden hebben van 160 km/h met windstoten van193- 203 km/h. De gebieden, die het meeste last krijgen van de tyfoon zijn Ishigaki in het zuiden van de Ryukyu eilanden en Yilan op Taiwan. De wind zal in een grote stad zoals Taipei een snelheid bereiken van 120 km/h met windstoten tot 160 km/h. Deze zijn in staat om aanzienlijke schade toe te brengen aan gebouwen.

Het waterniveau langs de kustgebieden zal levensbedreigend hoog worden en flinke schade kunnen toebrengen aan structuren aan de kust. Het water stijgt 2,5-5 meter hoger komen dan het normale niveau bij hoogtij. Dit zal schade toe brengen aan de vele baaien en lagunes, die langs de kust liggen. Soulik dropt zo'n 10-20cm neerslag. In de hoger gelegen gebieden kan dit oplopen tot 30-60cm met overstromingen en modderlawines tot gevolg.
Het oost-centrale deel van China, met in het bijzonder de provincies Fujian en Zhejiang, lopen zaterdag ook risico op destructieve wind en zware regenval met overstormingen. Dit is één van het dichtsbevolkte gebieden ter wereld. In dit gebied wonen naar schatting meer dan 90 miljoen mensen. Shanghai ligt ten noorden van Zhejiang en zal volgens de huidige verwachtingen gespaard blijven. Soulik komt zaterdagmiddag aan land in het noorden van Fujian of in het uiterste zuiden van Zhejiang tussen de steden Fuzhoe en Wenzhou. Als Soulik Taiwan gepasseerd is, kan deze iets in kracht afgenemen.
© onweer-online
Bron: Accuweather / Kaart: JMA
De krachtige tyfoon Soulik heeft Taiwan bijna bereikt. Soulik neemt destructieve wind, stormvloed en zware regenval met zich mee. De windsnelheden van 195 km/h met windstoten tot 240 km/h worden verwacht bij het aan land komen. De tyfoon zal dicht langs Taipei, een stad van 2,5 miljoen mensen, trekken. Soulik is tot nu toe de krachtigste tyfoon van dit seizoen. Soulik is even een categorie 4 tyfoon geweest en heeft daarbij de titel supertyfoon gekregen. Het systeem zal in de komende 12 uur iets in kracht toenemen als hij over de warme Kuroshio stroming trekt.

MODIS Aqua satellite flew over Typhoon Soulik in the western Pacific Ocean on July 11 at 04:20 UTC and saw that the system is undergoing eyewall replacement. (Credit: NASA Goddard/ MODIS Rapid Response Team)
Volgens het Joint Typhoon Warning Center (JTWC) lag het centrum van Soulik om 21.00 UTC op 11 juli op 245 nm ten zuid-zuidwesten van Kadena AB. Het systeem trekt naar het westen met een snelheid van 14 kts (26 km/h). Soulik is momenteel een categorie 3 tyfoon met een maximale gemiddelde snelheid van 96 kts (176 km/h) met windstoten tot 115 kts (213 km/h).

MTSAT-2 visible satellite image taken at 23:32 UTC on July 11, 2013 (Credit: NOAA/MTSAT)

MTSAT Infrared satellite imagery taken at 01:32 UTC on July 12, 2013 (Credit: NOAA/MTSAT
Volgens het GDACS is de populatie, die te maken krijgt met windsnelheden van meer dan 120 km/h, 26,7 miljoen mensen. De autoriteiten in Taiwan hebben op voorhand 2300 touristen van Green Island geëvacueerd. Er geldt een waarschuwing voor alle zeevaart ten noorden en ten oosten van Taiwan.
De stormsurge in het noordoosten kan stijgen tot 2-3 meter boven het normale hoogtij niveau. Er wonen 2.2 miljoen mensen in de kustregio (onder de 5 meter) en lopen gevaar. De grootste problemen door Soulik zullen veroorzaakt worden door de zware regenval, die desastreuze overstromingen en modderlawines kan veroorzaken. Er wordt een neerslag hoeveelheid van meer dan 600 mm verwacht tijdens het aan land komen van de tyfoon.

De krachtige wind en de stortregens beginnen hun effect te krijgen op de Ryuku eilanden (Japan). Het weerbureau van Okinawa waarschuwt voor golven tot 12 meter hoog en voor windstoten tot 234 km/h. Volgens het JTWC trekt Soulik net ten zuiden van het eiland Ishigaki-jima (Japan) en treft op 12 juli Taiwan. Daarna dendert het systeem voort om op 13 juli aan land te gaan in China. Soulik zal in kracht afgenemen door de interactie met het land. Echter weer in kracht toenemen boven de straat van Taiwan. Soulik beweegt zich voort langs de westelijke periferie van een diepe subtropische rug. De combinatie van toenemende verticale windshear en de interactie met het land zal het systeem uiteindelijk snel laten afzwakken.




© onweer-online
Bron: The Watchers| JTWC | PAGASA | JMA | TSR | Wunderground
Duizenden mensen in Taiwan zijn geëvacueerd en het hele eiland was een "alert zone" toen Soulik op zaterdagmorgen aan land kwam. In de hoofdstad Taipei kwam en 50 jarige politie-agent om het leven toen hij werd getroffen aan zijn hoofd door een rondvliegende steen. Zeven mensen raakten gewond voornamelijk door vallende objecten. Meer dan 8.000 mensen werden geëvacueerd. Vooral de zuidelijke gebieden van het eiland lopen risico op landverschuivingen. Het hele land is een alert zone, zegt een official van het National Fire Agency. Militairen zijn ingezet in de gebieden met een hoog risico. Alle bedrijven en scholen zijn gesloten in Taipei en in 8 andere steden.
Met een windsnelheid van 190 km/h kwam Soulik om 03.00 AM (lokale tijd) aan land aan de noord-oost kust. Voordat de tyfoon aan land kwam werd Taipei al geseld met zware tot zeer zware windstoten en stortregens. In sommige gebieden viel de stroom uit en bomen werden ontworteld. Op vrijdag beukten golven van 1,5 meter hoog tegen de kust in Yilan. De kustwacht waarschuwde mensen van het strand af te gaan terwijl ondertussen honderden vissersboten beschutting zochten in de havens. Veel boeren hadden uit voorzorg rijst, fruit en groenten geoogst. De tyfoon heeft economische schade toegebracht aan de touristen industrie. Meer dan 90% van de boekingen zijn geannuleerd. Al het vliegverkeer van en naar Taipei ligt stil.
© onweer-online
Bron: AFP

Radar image of Typhoon Soulik as it makes landfall 2:30 a.m. local time. Image courtesy of Taiwan's Central Weather Bureau.

Expected path of Soulik as it slams Taiwan and eastern China

Typhoon Soulik, with its 100-mph/160 km/h winds as it aims for northern Taiwan (Credit: UW-CIMSS)
Bron: Accuweather
Tyfoon Soulik, die vandaag over Taiwan trok, heeft in het land aan een persoon het leven gekost en meer dan 30 gewonden gemaakt. Dat blijkt uit een eerste balans. De Taiwanese autoriteiten gaan er van uit dat ook vandaag nog de felle regens en wind het land zullen teisteren en waarschuwen de bevolking voor aardverschuivingen en overstromingen, vooral in het zuiden van het land. De overheid heeft het hele eiland uitgeroepen tot alarmgebied. In gebieden waar het risico het grootst is, is het leger ingezet. Meer dan 8.000 mensen zijn geëvacueerd.
Deze foto is niet meer beschikbaar
© afp.
In de hoofdstad Taipei is een 50-jarige politieman om het leven gekomen nadat hij geraakt werd door bakstenen die losgerukt werden door de tyfoon. Eenendertig anderen zijn gewond, van wie drie ernstig. Soulik trof de noordoostelijke kust van het land rond 20 uur GMT, met windsnelheden tot 190 kilometer per uur.
Meer dan 800.000 woningen zaten zonder elektriciteit, in de helft daarvan is de stroom ondertussen hersteld. Bijna 170 vluchten zijn geannuleerd of vertraagd, waardoor honderden mensen vastzitten op de luchthavens.
Bron: HLN

Alhoewel Soulik afgezwakt is boven het vasteland van China, blijft de levensbedreigende stortregen met overstromingen het grootste probleem. De neerslaghoeveelheid door Soulik hebben de 91cm overschreven in delen van Taiwan. In Bailin is meer dan 96cm regen gevallen in minder dan 24 uur.
Soulik kan op zaterdagavond (lokale tijd) aan land nabij Fuzhou in China. Het systeem neemt boven land steeds verder in kracht af. Desalniettemin is Soulik nog steeds in staat om destructieve wind(stoten) en verblindende stortregens te veroorzaken. De provincies Fujian en Jiangxi lopen het grootste gevaar op overstromingen.
De resterende vochtige lucht van Soulik gaat opgenomen worden door een dralend front. Hierdoor krijgen delen van het oosten van China tot het Koreaans schiereiland en Japan te maken met zware neerslag.
© onweer-online
Bron: Accuweather



Zo'n 300.000 mensen uit Oost-China zijn geëvacueerd voor ernstig noodweer. Tyfoon Soulik houdt al enige dagen lelijk huis in de regio. Er zouden al 200 doden gevallen zijn door overstromingen, zware regen en landverschuivingen.
De Chinese provincies Zhejiang en Fujian en het eiland Taiwan lijden al enkele dagen onder ernstig noodweer. In de Chinese provincies is de noodtoestand uitgeroepen en in Taiwan staan zo'n 50.000 soldaten klaar om indien nodig hulp te bieden. In Fujian en Zhejiang is al het trein- en luchtverkeer voorlopig stilgelegd.
Het noodweer heeft tot nog toe al minstens 200 mensenlevens gekost in China. In Taiwan is voorlopig slechts één dode gevallen. Een politieman kreeg er een baksteen op zijn hoofd. Op het eiland zijn wel tientallen gewonden gevallen, de meeste lichtgewond, door vallende takken of doordat ze door de wind van hun scooters zijn geblazen.
Bron: de Redactie | Gewijzigd: 15 februari 2017, 11:09 uur, door Joyce.s
CNNInternational·
Typhoon Soulik Hammers Taiwan 13th July 2013
Geplaatst met uitdrukkelijke toestemming van TyphoonHunter
Typhoon SOULIK
Andy Chan
Typhoon Soulik Becomes Deadly, Storm Footage and Forecast
WestPacWx
Typhoon Soulik hits Taiwan
jamesken62
Berichtgeving TC Soulik (West Pacific)

















