
Het diepe zuiden zal te maken krijgen met een minder dan gemiddelde activiteit ditjaar. Verder naar het noorden is het zeer warme water aan de oostkust van de USA een zorg. Hierbij komen nog de sterker wordende El Niño omstandigheden. Er zijn genoeg El Niño jaren met een hoge impact aan de kust van de USA. Voorbeelden hiervan zijn 1957, 1965, 1969, 1976, 1983, 1991, 1992, 2002 en 2004. Het patroon kan krachtigere-dan-normale stormen voortbrengen, die dicht bij de USA ontstaan in plaats van in de diepe tropen. Het ECMWF model komt hier in grote mate mee overeen.
Wat het verschil is, dat het ECMWF model heeft een verwachting van hoger-dan-gemiddelde activiteit nabij de oostkust van de USA. Wij (Weatherbell, red.) staan versteld over de afwezigheid van activiteit in de laatste 20 jaar nabij de oostkust. Hoewel orkanen Irene en Sandy wel de nodig aandacht trokken, vallen ze in het niet bij de meteorologische chaos van de jaren '50 of de intensiteit van 1938 en 1944. Er is niets, dat een Sandy-achtige treffen vanaf het zuidoosten of drie stormen langs de oostkust in de weg staan ondanks een relatief laag aantal stormen met een naam in een seizoen. Het benchmark jaar voor de oostelijke kuststrook, 1954, had een ver-beneden-gemiddelde tropische activiteit in de diepe tropen. Hazel was dat jaar de enige krachtige storm ten zuiden van de 20°N. Er is dus sterke historische ondersteuning voor het idee van ECMWF.
De combinatie van droge lucht, een relatief koudere AMO index, een belabberde basis voor de golven trein vanaf de Indische Oceaan en de aanstormende El Niño pleit tegen een hoger dan normale frequentie in de diepe tropen. We (weatherbell, red) denken, dat het een uitdagend jaar wordt.
© onweer-online
Bron: Weatherbell
Na één van de rustigste seizoenen in decades, wordt het volgens de meteorologen van The Weather Channel in 2014 wederom rustig qua Atlantische orkanen. Deze vroege verwachting behelst 11 stormen met een naam, waarvan 5 orkanen en twee hiervan grote orkanen (major hurricanes, cat 3 of hoger). Dit is iets onder het gemiddelde van 12 stormen met een naam, zes orkanen en drie grote orkanen.
De vroege dynamische model runs suggereren wederom een relatief rustig seizoen, zegt dr Todd Crawford, hoofd meteoroloog van Weather Services International (WSI). "Drie onafhankelijke statistische berekeningen laten allemaal 11 stormen met een naam zien."
Betekent dit een minder destructief orkaan seizoen?
Er is geen relatie tussen het aantal stormen of orkanen en het aan land komen in de USA. Het is belangrijk om te weten, dat de stormen overal in de Atlantische Oceaan kunnen ontstaan. Het aantal zegt niets over het aantal stormen, dat aan land komt in de USA.
In 1983 waren er slechts vier stormen met een naam. Eén hiervan Alicia, kwam als een categorie 3 orkaan aan land in het Houston-Galveston gebied. In 2010 waren er 12 orkanen en 19 stormen met een naam. Maar geen enkel van deze systemen kwam aan land. Met andere woorden: een seizoen kan veel stormen en orkanen produceren, maar weinig tot geen schade aanrichten.
Zal El Niño een rol spelen?
Er bestaan sterke aanwijzingen, dat er dit jaar een El Niño zal optreden. Echter de lokatie van de opwarming van de equatoriale wateren en de omvang van de opwarming spelen slechts een kleine rol in het ontstaan van de Atlantische stormen. Analyst Carl Parker legt dit uit in bovenstaand filmpje. Er zijn negen andere jaren waarin de zeewatertemperaturen (SST's) overeenkomen met ons huidige jaar. Dit zijn 1951, 1957, 1963, 1965, 1968, 1976, 1982, 1997 en 2002. In deze jaren kwamen er gemiddeld 11 stormen met een naam, 4-5 orkanen en 1-2 grote orkanen voor. In 8 van deze 9 jaren ontstond ook een orkaan boven de Golf van Mexico. Vier orkanen kregen de status van grote orkaan (categorie 3 of hoger) terwijl ze zich boven in de Golf van Mexico. Daarentegen ontstonden in 2004 tijdens een zwakke El Niño de orkanen Charley, Frances, Ican en Jeanne. Die delen van Florida troffen. Kortom: het is onduidelijk welke rol El Niño speelt.
Zijn er andere factoren, die een rol spelen?

De beste indicator is de afwijking van de zeewater-oppervlakte temperatuur (SST) in het tropische deel van de noordelijke Atlantische oceaan. Tot nu toe zijn de SST's in dit gebied koeler dan tijdens de recentelijke behoorlijke actieve seizoenen. Als er gekeken wordt, naar het Atlantische bassin als geheel (zie figuur boven) vallen de relatief warme SST's in het westelijk deel van de Atlantische oceaan en de Caribische zee en de koelere temperaturen in de strook in het midden en oostelijk deel van de Atlantische oceaan ten oosten van de Windward eilanden op. Het grootste deel van de destructieve orkanen gedurende het record seizoen 2005 ontwikkelden zich in het westelijk deel van het Atlantisch bassin. "Als El Niño doorzet, zoals verwacht wordt en als er geen plotselinge opwarming in de Atlantische oceaan plaatsvindt, zal het een relatief rustig seizoen worden.
© onweer-online
Bron: The Weather Channel
EXTENDED RANGE FORECAST OF ATLANTIC SEASONAL HURRICANE ACTIVITY AND LANDFALL STRIKE PROBABILITY FOR 2014 | Gewijzigd: 10 april 2014, 21:12 uur, door Marga
Na het seizoen met de minste orkanen sinds 1982 zal het komende orkaanseizoen ook een beneden gemiddelde activiteit laten zien met ongeveer 10 tropische stormen met een naam, vijf orkanen en 2 grote orkanen. Het team van Accuweather verwacht, dat twee systemen hetzij als een tropische storm hetzij als een orkaan aan land komt in de USA
Belangrijkste punten Atlantisch seizoen
- Accuweather.com verwacht een onder gemiddeld orkaan-seizoen.
- De tropische ontwikkeling wordt dit seizoen geremd door het ontstaan van El Niño aan het einde van de zomer of in de herfst.
- Gebieden vanaf het midden en oosten van de Golf van Mexico tot aan de Oostkust zullen het meeste risico lopen op de gevolgen van een tropisch systeem.
Het ontstaan van El Niño kan de weerpatronen over de gehele wereld veranderen. Ergens deze zomer zal door El Niño de windshear boven delen van de Atlantische oceaan toenemen. Hierdoor wordt het ontstaan van tropische systemen geïnhibeerd. "Als zich een krachtige El Niño ontwikkelt zal het aantal tropische systemen nog lager uitvallen en krijgen we misschien te maken met één van de minst actieve seizoenen ooit., zegt senior meteoroloog Dan Kottlowski. Als 2014 onder het gemiddelde uitvalt, is het het vierde seizoen in 20 jaar, waarin de tropische activiteit lager is dan gemiddeld. De officiële start van het seizoen, 1 juni 2014, zal worden ingeluid met één of twee tropische stormen in juni of juli. Echter de meeste stormen en de grootste kans voor het aan land komen van een systeem zullen plaatsvinden in het midden van het orkaanseizoen: laat in de zomer tot in de herfst in de maanden augustus, september en oktober.

De gebieden, die deze zomer in de gaten gehouden moeten woren, liggen van het oosten van Louisiana richting het oosten door Florida tot aan de kust van de Carolina's en Virginia. Hieronder vallen de grote steden zoals New Orleans, Tampa, Miami, Key West, Charleston en Norfolk. Echter kunnen andere gebieden langs de kustlijn nog steeds getroffen worden. Het is onmogelijk om ver vooruit het pad van een tropisch systeem te voorspellen. Alhoewel het verwachte aantal tropische systemen laag is, waarschuwen meteorologen, dat de mensen zich nog steeds goed moeten voorbereiden op het orkaan seizoen. Er is maar één orkaan nodig om grote schade aan te richten.
Eén van de problemen, die een orkaan veroorzaakt is de stormvloed / stormsurge. Een bak water, die meegevoerd wordt door de orkaan kan voor de kust snel stijgen voordat deze zich op de kust stort. Hele buurten kunnen door deze stormvloed worden weggevaagd. Een ander component van de orkanen is de destructieve wind. Straight-line wind kan alles in zijn pad omverblazen. Vlak voor en na het aan land komen van een orkaan kunnen tornado's ontstaan.
© onweer-online
Bron: Accuweather | Gewijzigd: 14 mei 2014, 16:35 uur, door Marga
Volgens NOAA verloopt het orkaanseizoen in de EPAC nabij gemiddeld of boven gemiddeld. Er is een 50% kans, dat het seizoen boven gemiddeld gaat verlopen, een 40% kans op een gemiddeld seizoen en een 10% kans op een onder gemiddeld seizoen. Volgens de meteorologen is er 70% kans op 14-20 stormen met een naam, waaronder 7-11 orkanen, waarvan 3-6 grote orkanen (categorie 3 of hoger). Een gemiddeld orkaanseizoen in de EPAC ziet 15 stormen met een naam, 8 orkanen en 4 grote orkanen. Het seizoen loopt van 15 mei tot 30 november met een piek in juli tot september.
El Niño
De invloedrijkste factor dit seizoen is de mogelijke ontwikkeling van een El Niño. Door dit fenomeen neemt de verticale windshear boven het tropische deel van de EPAC toe. Hierdoor kunnen er meer en krachtigere stormen en orkanen ontstaan. De EPAC gaat sinds 1995 een periode door van lage stormactiviteit. Door de klimatologische aanwijzingen, dat de EPAC een stevig orkaanseizoen gaat doormaken, is het nog belangrijker, dat mensen goed voorbereid zijn. De verwachting is een algemene visie van het gehele seizoen. De verwachting zegt niets over of, waar en wanneer deze stormen aan land gaan komen. De stormen en orkanen in de EPAC trekken vaak richting het westen over open water en bereiken incidenteel Hawaiï. Echter wanneer een systeem richting het noordoosten draait, kan deze voor problemen zorgen in het westen van Mexico, Midden Amerika en het zuidwesten van de USA.
© onweer-online
Bron: NOAA | Gewijzigd: 23 mei 2014, 11:35 uur, door Marga
Dit jaar wordt een nabij gemiddeld of boven gemiddeld orkaanseizoen verwacht in het centrale deel van de Stille Oceaan. Er is een 40% kans op een gemiddeld seizoen, 20% kans op een onder gemiddeld seizoen en 40% kans op een boven gemiddeld seizoen. Er worden dit jaar 4-7 tropische cyclonen verwacht. Een gemiddeld seizoen in het centrale deel van de Stille Oceaan bestaat uit 4-5 tropische cyclonen, waaronder tropische depressies, tropische stormen en orkanen.
Deze verwachting is gebaseerd op de mogelijke ontwikkeling van een El Niño. Deze bevordert de verticale windshear boven het tropischde deel van Centraal Pacific. Hierdoor kunnen er meer en krachtigere tropische cyclonen ontstaan. Sinds 1995 is het rustig in dit deel van de oceaan. De verwachting zegt niets over waar, wanneer en of één van deze systemen Hawaiï zullen bereiken.
© onweer-online
Bron: NOAA | Gewijzigd: 23 mei 2014, 11:36 uur, door Marga

Volgens NOAA gaat het orkaanseizoen in de Atlantische oceaan nabij of net onder gemiddeld verlopen. Er gaan zich vermoedelijke 8-13 tropische stormen vormen, waaronder 3-6 orkanen met 1-2 grote orkanen (cat. 3 of hoger). Ondanks het feit, dat er een minder dan gemiddeld aantal orkanen wordt verwacht, moeten de bewoners van de kustgebieden goede voorzorgsmaatregelen nemen. Vaak komt er een orkaan aan land in de minder actieve jaren. Er is maar één orkaan voor nodig, die aan land komt, om een grote ramp te veroorzaken.
Het actieve of onder gemiddeld-actieve seizoen is te wijten aan een zich ontwikkelenden El Niño. Onder El Niño omstandigheden worden door de windshear de toppen van de wolken afgeblazen, waardoor het voor tropische systemen veel moeilijker wordt om ten eerste te ontstaan en ten tweede zich te verdiepen cq versterken. Volgens meteorologen zijn ook de gunstige passaatwinden en de stabiele atmosferische omstandigheden eveneens ongunstig voor de ontwikkeline van tropische systemen.
SST
Er worden nabij gemiddelde SST (sea surface temperatures) in het Atlantisch bassin verwacht. Dit staat in contrast staat met de boven gemiddelde SST's in de afgelopen jaren. Hogere zeewatertemperaturen voegen hitte / warmte toe aan ontwikkelende systemen en verspoedigen de intensificatie.
Verbetering
Volgens de officials van NOAA, die bij de persconferentie aanwezig waren, waarin de verwachting werd geprestenteerd, wordt het eigen model van NOAA het HWRF momenteel aanzienlijk verbeterd. Hierdoor is het mogelijk om intensiferende orkanen beter te herkennen. Voor de meteorologen van het NHC is het voorspellen van snel ontwikkelende orkanen altijd een probleem geweest. Het NHC is eveneens bezig met het ontwikkelen van een kaart voor de stormvloed / stormsurge. Voorbeeld hiervan is:

This is the sort of storm surge flooding map that would be produced if a hurricane threatened the Fort Myers, Fla., area.(Photo: National Hurricane Center)
© onweer-online
Bron: NOAA, NOLA, USA today
Het orkaanseizoen gaat alweer beginnen. Op 1 juni is de officiële start van het orkaanseizoen van de Atlantische Oceaan. Deze regio moet er wel bij genoemd worden, want het seizoen voor de Pacifische Oceaan is namelijk al begonnen op 15 mei. Wat de verschillen zijn tussen deze gebieden en hoe de verwachting er voor het komende seizoen uit ziet, daar gaat dit verhaal over.
Seizoensverwachting
Een verwachting maken voor de korte termijn brengt al onzekerheden met zich mee, laat staan een verwachting voor de komende maanden. Toch wordt dit gedaan. Ook binnen MeteoGroup overigens, wij maken lange termijn verwachtingen voor bijvoorbeeld het winterseizoen. Met zulke lange verwachtingen worden een aantal klimatologische factoren meegenomen, die je bij een korte termijn verwachting niet zult gebruiken. Wat betreft het orkaanseizoen is de ontwikkeling van een mogelijke El Niño of La Niña heel erg belangrijk.
El Niño
Dit weersfenomeen op grote schaal speelt zich af in de Stille Oceaan en heeft vooral impact op het weer, zeker voor wat betreft de gebieden in de tropen. Je kunt je voorstellen dat in die grote bak water van de oceaan, het koudste water onderin ligt. De bovenste oppervlaktelaag wordt namelijk dagelijks verwarmd door de zon en de temperatuur is daar dan ook een stukje hoger. Dit warmere water wordt met een passaatwind, een oostelijke wind naar het westen geduwd, van Afrika richting Zuid-Amerika, en van Zuid-Amerika richting Indonesië. Bij een El Niño verandert de windrichting, waardoor de passaatwinden in kracht afnemen of zelfs van richting veranderen. Zo verplaatst dit warme wateroppervlak zich langzamer en dat zorgt voor een nog verdere opwarming van het zeewater.

Op dit kaartje zijn de passaatwinden te zien. Het zijn de zuidoostenwinden tussen 0° en 30° breedtegraad. Hiermee worden de buiencomplexen vanaf Afrika naar de westkust van het Amerikaanse continent getransporteerd. De westkust van Afrika wordt dan ook wel gezien als de kraamkamer van de orkanen. De zeewater temperatuur ligt daar vrij hoog, minimaal 27°C is nodig. Bron: Wikipedia
Hoe voorspel je een El Niño
Een verandering in de windrichting is zo een goede indicator voor de komst van een El Niño. Ook is de temperatuur van het zeewater een goed ijkpunt, gemiddeld wordt het water in het oostelijke deel van de grote oceaan dan tenminste 0,5°C warmer. Als er drie maanden op rij sprake is van een temperatuur van 0,5°C of meer, dan is er sprake van een El Niño. Op dit moment ligt de zeewatertemperatuur inderdaad hoger, wat er op lijkt te wijzen dat er een El Niño aan gaat komen. We gaan hier niet in op alle gevolgen van een El Niño, alleen de directe link met de orkanen leggen we uit.

Dit is een kaart van de afwijkende watertemperatuur (in graden Celsius) in de oceanen gedurende de sterke El Niño in december 1997. Duidelijk te zien is het warmere zeewater voor de oostkust van Zuid-Amerika. Bron: Wikipedia

Een La Niña heeft juist een omgekeerd effect. De passaatwinden worden versterkt. (Trade winds zijn passaatwinden). Er staat dan een sterkere oostenwind wat ook het nodige weer met zich meebrengt in Australië en de omgeving van de Filipijnen. Bron: Wikipedia
El Niño en orkaanseizoen op de Stille Oceaan?
Maar wat heeft een El Niño nou te maken met orkanen? Op het westelijke deel van de Stille Oceaan zorgt een El Niño dus voor hogere oceaantemperaturen en ook voor minder windschering. En dat is precies waar orkanen van houden. Ze worden namelijk geboren als bui of troepje buien. Als het zeewater tenminste 27°C is dan is dat een goede kraamkamer voor de orkanen in spe. De buien voegen zich samen tot onweerscomplexen. Een flinke windschering zou er dan voor zorgen dat de buien uit elkaar worden gewaaid, waardoor ze zich niet samen kunnen organiseren. Een El Niño zorgt op de Stille Oceaan juist voor minder windschering, waardoor de ontwikkeling begunstigd wordt.
El Niño en orkaanseizoen op de Atlantische Oceaan
Op de Atlantische Oceaan is het echter een ander verhaal. Een El Niño zorgt daar voor het omgekeerde effect, verlaagde oceaantemperaturen en meer windschering. De twee factoren die het ontstaan van orkanen tegengaan. De stabiliteit van de atmosfeer wordt daar ook verhoogd door een El Niño, waardoor er juist minder snel buien ontstaan.

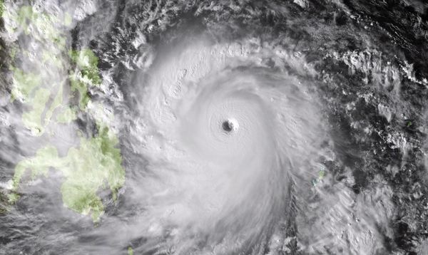
Deze satelietfoto is van de orkaan Haiyan, gemaakt één dag voor dat de orkaan de Filipijnen bereikte. De foto is van een NOAA sateliet. De storm was al wel op volle kracht, dat is bijvoorbeeld te zien aan het duidelijke oog.
Orkaanseizoen
Het orkaanseizoen vindt dus grotendeels plaats op twee plekken. Op de Atlantische Oceaan en de Stille Oceaan. Met de oostelijke winden worden orkanen op de Atlantische Oceaan richting Centraal-Amerika en het zuidwesten van de Verenigde Staten geblazen. Deze regio is dus eigenlijk het belangrijkste wat betreft het gevaar voor de mensen, want deze orkanen gaan vaak aan land. De orkanen op de Stille Oceaan schampen soms de westelijke kusten van het Amerikaanse continent, maar deze worden met de oostelijke wind juist verder de Oceaan opgeblazen. Vervolgens komen ze dan uit bij Indonesië, de Filipijnen en Vietnam, waar ze grote schade aan kunnen richten. Denk maar aan vorig jaar, orkaan Haiyan. Één van de zwaarste orkanen die ooit is gemeten met windsnelheden van 315 kilometer per uur.
Verwachting NOAA
De verwachting van het NOAA geeft aan dat de westkust van de V.S. een normaal tot iets verhoogd orkaanseizoen krijgt. Waarmee de oostkust juist een normaal of een iets onder normaal orkaanseizoen gaat krijgen. Het seizoen gaat in de laatstgenoemde regio op 1 juni van start, komende week is de “National Hurricane Preparedness Week”. Focus wordt dan gelegd op de waarschuwingsprogramma’s en de voorlichting op scholen. Zodat iedereen weer goed voorbereid is, mocht het zover komen!
Bron: MeteoGroup, NOAA

Lees ook:
Ondanks het feit, dat het orkaanseizoen in Atlantisch Canada vermoedelijk rustig gaat verlopen, roept de manager van het Canadian Hurricane Centre mensen op, wel goed voorbereid te zijn. "Wegens de komende El Niño zullen we een rustiger orkaanseizoen krijgen dan gemiddeld. Er is maar één orkaan nodig om het toch een rampjaar te maken, zegt Chris Fogarty. Het orkaanseizoen loopt van juni tot en met november. Echter 80% van de orkanen doen Canada in augustus en september aan. Meestal krijgt Canada niet te maken met een orkaan in volle kracht. Normaliter zijn de systemen dan al omgevormd tot een krachtig lagedruksysteem met veel neerslag en wind. De systemen, die omvormen tot een nor'easter type storm kunnen desalniettemin veel schade veroorzaken.
Volgens Fogarty ligt tijdens een El Niño de jetstream verder naar het zuiden over Ontario en door de Maritimes. Hierdoor zal het niet zo'n mooi zomer weer worden als gemiddeld. El Niño is in feite een grote plens water in de Stille Oceaan, die een hoop wolken en krachtige wind brengt naar Cailifornië en het westen van Canada. Hier ligt de jetstream juist verder naar het noorden met een corresponderende dip over het oosten van Canada.
© onweer-online
Bron: Truro Daily
Ondanks een poging aan het begin van deze maand in het zuidwestelijke deel van de Golf van Mexico, is er tot het einde van juni geen enkel tropisch systeem ontstaan in het Atlantisch Bassin. De tropische storing ging aan land in Mexico voordat deze uit kon groeien tot een tropische depressie met een gesloten circulatie. De laatste keer, dat er geen tropische systemen ontstonden in mei en juni, was in 2004.
Deze foto is niet meer beschikbaar
Belemmerende factoren
De grootste belemmerende factor in het ontstaan van tropische systemen is de gemiddelde tot krachtige windshear boven de Golf van Mexico, over de Caraïben en het zuidelijk deel van de Noord Atlantische Oceaan. Windshear ontstaat als er krachtige luchtstroom in de middelste lagen van de atmosfeer vanuit het westen is in de tropen is. Deze wind voorkomt het ontstaan van systemen, beperkt de intensivering of blaast een systeem uiteen. Een andere factor zijn de zeer krachtige noordoostelijke passaatwinden, welke ervoor zorgen, dat de tropische systemen zich in een rap tempo verplaatsen. Een krachtig hogedrukgebied tussen Bermuda en de Azoren creeert een snelle stroom verder naar het zuiden in het tropische deel van de Atlantische oceaan. De voorwaarde tot ontwikkeling van een tropische systeem is niet alleen een zwakke wind, maar ook de aanwezigheid van warm oceaanwater. Door de krachtige passaatwinden kan de temperatuur van het oppervlaktewater in de oceaan afkoelen.
Een gebied waar mogelijk een systeem kan ontstaan aan het einde van juni of in de eerste dagen van juli is de regio ten zuidoosten van de kust van de USA. In dit gebied is de windshear relatief zwakker vergeleken met de rest van het bassin. Als een onweerscomplex of een storing dit gebied binnendringt, kan deze mogelijk uitgroeien tot een tropische storing.
Volgens de meteorologen van Accuweather zal het een beneden-gemiddeld-actief-seizoen worden met 10 tropische stormen en vijf orkanen. Ondanks het lage aantal wordt verwacht, dat er twee systemen het land opgaan aan de oostkust van de USA.
Stille Oceaan (EPAC)
Aan de andere zijde is het EPAC orkaanseizoen vrij actief met een verwachting van 19 tropische stormen en 10 orkanen. Aan het begin van juli kunnen er mogelijk meerdere systemen onstaan langs de westkust van Midden Amerika en in het zuiden van Mexico. Tot nu toe zijn orkanen Amanda en Cristina en tropische storm Boris ontstaan in de EPAC.
© onweer-online
Bron: Accuweather
Orkaanseizoen 2014 USA (Atlantic en EPAC)





