Wind: 65 KPH
Location: 11.4N 216.7E
Movement: SW at 17 mph




Satellite image of Francisco near Guam on Wednesday, courtesy of UW-CIMSS. Foto bron: Accuweather
| Gewijzigd: 16 oktober 2013, 18:30 uur, door Sanwa

Tyfoon Francisco raakt steeds beter georganiseerd. Het systeem ligt momenteel ten zuidwesten van Guam. Francisco is ontstaan in hetzelfde gebied waar tyfoon Wipha het leven zag. Francisco bereikte donderdag de tyfoonstatus en brengt zware regenval naar de Mariana eilanden, incl Guam. Aan het einde van deze week wordt het systeem steeds krachtiger. De Mariana eilanden krijgen ook te maken met destructieve wind. In het weekeind en aan het begin van volgende week trekt Francisco over de open wateren van de westelijke Stille Oceaan richting het zuiden van Japan. Warm zeewater en lage windshear maken het mogelijk, dat het systeem zich steeds verder verdiept. Francisco zal bijna dezelfde route volgen als tyfoon Wipha. Aan het begin van volgende week krijgt het systeem te maken met een frontale grens in het noorden, welke Japan nadert. Dit front zal Fransisco verder naar het noorden proberen te duwen en de storm uiteindelijk richting het noordwesten laten gaan richting het zuiden en oosten van Japan. Als dit scenario bewaarheid wordt, krijgt het oosten van Japan, incl Tokio, te maken met weer een ronde van zware regenval, overstromingen en destructieve wind(stoten). Als Francisco dit frontaal systeem mist zal de tyfoon in snelheid gaan afnemen en meer naar het westen drijven alvorens het wordt opgepikt door een ander frontaal systeem. Als dit scenario van toepassing is, zal Fransico de grootste schade gaan aanrichten op het Koreaans schiereiland of het westen van Japan. Dit pad is vergelijkbaar met dat van tropische storm Kong-Rey.
© onweer-online
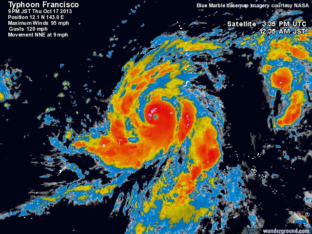
Bron: Accuweather
Tyfoon Francisco heeft niet één keer maar twee keer het eiland Guam op een haartje na gemist. In eerste instantie dreef het systeem richting het zuidwesten, maar ging vervolgens met een scherpe draai naar het noordoosten. De storm trekt nu naar het noord-noordwesten. Het systeem ligt ongeveer 281 km ten westen van Andersen AFB (Guam). De gemiddelde windsnelheid bedraagt 220 km/h.




© onweer-online
Bron: NOAA, Wunderground, JTWC
MAX SUSTAINED WINDS - 140 KT, GUSTS 170 KT
WIND RADII VALID OVER OPEN WATER ONLY


bron:Theweathergains
Nasagovvideo
Deze foto is niet meer beschikbaar
© reuters.
De overvloedige regenval van de afgelopen week in Japan heeft de kerncentrale in Fukushima nieuwe problemen opgeleverd. De opslagtanks voor afvalwater bij de centrale stromen over en eigenaar Tepco zegt niet te kunnen uitsluiten dat radioactief water in zee is gestroomd, meldt The Japan Times.
Tepco ontdekte ook dat er water lekt uit een betonnen omhulsel van andere opslagtanks. Uit meer dan de helft van de 23 tanks zou besmet water zijn gelekt. De ontdekking is het zoveelste probleem voor de kerncentrale, die in 2011 werd getroffen door een aardbeving en een tsunami, waardoor er meerdere meltdowns ontstonden.
Bron: HLN
Supertyfoon Francisco zal Japan als tropische storm treffen op 25 oktober rond 09.00 GMT. Volgens gegevens van het JTWC zal dit gepaard gaan met een gemiddelde windsnelheid van 101 km/h met zwaardere windstoten.




© onweer-online
Bron: JTWC, Wunderground, TSR

Het kan een koude Halloween gaan worden in delen van de Plains wegens tyfoon Francisco. Deze twee gebeurtenissen lijken weinig met elkaar gemeen te hebben, maar het pad, welke de tyfonen nemen in het westelijk deel van de Stille Oceaan, heeft wel degelijk invloed op het weer in de USA. Tyfonen, die van het vasteland van Azië de oceaan opbuigen, zorgen vaak voor koude lucht in het Midwesten en Noordoosten. Er zit hier een tijdspanne van 6-10 dagen tussen. Dit patroon zal zich nu ook voordoen door tyfoon Francisco. Het kan hierdoor een koude nacht worden voor de mensen die gaan tick-or-treat-en. Eerder had het Midwesten en nooroosten al te maken met een koudeprik door tyfoon Wipha. Er zijn wat onzekerheden over de snelheid, duur en de intensiteit van de koude lucht. Echter het lijkt erop, dat de kou een aantal dagen gaan aanhouden. Meer informatie volgt.
© onweer-online
Bron: Accuweather
Wind: 120 KPH
Location: 24.6N 229.8E
Movement: WNW at 4 mph


Storm Track Statistics
- Date Time Lat Lon Wind (mph) Pressure Storm Type
- Oct 16 00 GMT 12.7 145.2 30 -999 Tropical Depression
- Oct 16 06 GMT 12.4 144.4 35 -999 Tropical Depression
- Oct 16 12 GMT 11.4 143.3 40 -999 Tropical Storm
- Oct 16 18 GMT 11.1 143.0 70 -999 Tropical Storm
- Oct 17 00 GMT 11.0 142.8 80 -999 Typhoon
- Oct 17 06 GMT 11.4 142.7 85 -999 Typhoon
- Oct 17 12 GMT 12.1 143.0 100 -999 Typhoon
- Oct 17 18 GMT 13.2 142.8 125 -999 Typhoon
- Oct 18 00 GMT 13.8 142.3 140 -999 Typhoon
- Oct 18 06 GMT 14.2 142.0 145 -999 Typhoon
- Oct 18 12 GMT 15.2 141.8 145 -999 Typhoon
- Oct 18 18 GMT 15.9 141.1 155 -999 Super Typhoon
- Oct 19 00 GMT 16.2 140.4 155 -999 Super Typhoon
- Oct 19 06 GMT 16.7 139.7 160 -999 Typhoon
- Oct 19 12 GMT 17.1 139.1 160 -999 Super Typhoon
- Oct 19 18 GMT 17.4 138.4 160 -999 Super Typhoon
- Oct 20 00 GMT 17.7 137.7 160 -999 Super Typhoon
- Oct 20 06 GMT 18.4 137.3 160 -999 Super Typhoon
- Oct 20 12 GMT 18.7 136.9 145 -999 Typhoon
- Oct 20 18 GMT 19.3 136.6 135 -999 Typhoon
- Oct 21 00 GMT 19.8 136.2 120 -999 Typhoon
- Oct 21 06 GMT 20.4 135.9 110 -999 Typhoon
- Oct 21 12 GMT 21.0 135.6 105 -999 Typhoon
- Oct 21 18 GMT 21.7 135.2 100 -999 Typhoon
- Oct 22 00 GMT 22.3 134.5 85 -999 Typhoon
- Oct 22 06 GMT 22.8 133.7 85 -999 Typhoon
- Oct 22 12 GMT 23.2 133.1 85 -999 Typhoon
- Oct 22 18 GMT 23.6 132.1 80 -999 Typhoon
- Oct 23 00 GMT 24.1 131.3 80 -999 Typhoon
- Oct 23 06 GMT 24.4 130.6 80 -999 Typhoon
- Oct 23 12 GMT 24.6 130.2 75 -999 Typhoon
Berichtgeving TS Francisco (West Pacific)






















| Gewijzigd: 20 oktober 2013, 18:23 uur, door Marga











