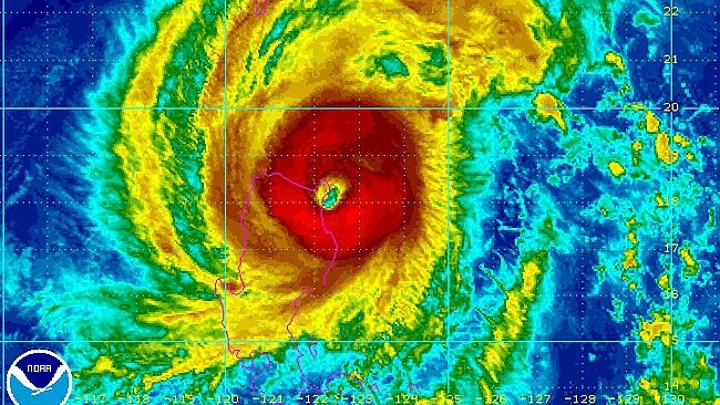
Lekima is net weg en nu onstaat snel ineens een nieuwe Tropische depressie genaamd Krosa. De kern ligt in het oostelijk deel van de Philipijnse zee.
WTPQ20 RJTD 291800
RSMC TROPICAL CYCLONE ADVISORY
NAME TS 1329 KROSA (1329) UPGRADED FROM TD
ANALYSIS
PSTN 291800UTC 15.7N 131.3E FAIR
MOVE WNW 09KT
PRES 1000HPA
MXWD 035KT
GUST 050KT
30KT 180NM NORTH 120NM SOUTH
FORECAST
24HF 301800UTC 16.0N 125.6E 75NM 70%
MOVE W 14KT
PRES 996HPA
MXWD 040KT
GUST 060KT
48HF 311800UTC 16.7N 119.6E 140NM 70%
MOVE W 15KT
PRES 996HPA
MXWD 040KT
GUST 060KT
72HF 011800UTC 16.9N 114.7E 210NM 70%
MOVE W 12KT
PRES 994HPA
MXWD 040KT
GUST 060KT =

Date: 29-29 OCT 2013
Tropical Depression KROSA
ADV LAT LON TIME WIND PR STAT
1 15.30 133.80 10/29/13Z 25 - TROPICAL DEPRESSION
2 15.70 132.80 10/29/20Z 25 - TROPICAL DEPRESSION
3 15.70 131.30 10/30/02Z 30 - TROPICAL DEPRESSION
4 16.10 131.00 10/29/18Z 30 - TROPICAL DEPRESSION
+12 16.60 128.50 10/30/06Z 45 - TROPICAL STORM
+24 17.00 125.90 10/30/18Z 55 - TROPICAL STORM
+36 17.50 123.30 10/31/06Z 65 - TYPHOON-1
+48 17.90 120.60 10/31/18Z 55 - TROPICAL STORM
+72 18.40 116.10 11/01/18Z 60 - TROPICAL STORM


Forecast geeft aan dat Krosa direkt over de philipijnen gaat.


@Onweer-Online
bron:wpw/noaa/jwa/storm2k
Westpacwx | Gewijzigd: 29 oktober 2013, 22:32 uur, door Frans24
Tropische storm Krosa zal de Filipijnen op 31 oktober rond 4.00 GMT als tyfoon gaan raken. Volgens het JTWC zal dit gepaard gaan met gemiddelde windsnelheden van 120 km/h. Dit is vergelijkbaar met een categorie 1 orkaan.
Last Updated: woensdag 30 oktober 2013, 1:00:00 0
Wind: 75 KPH
Location: 16.2N 230.4E
Movement: W at 14 mph




STS 1329 (KROSA)
Issued at 18:45 UTC, 30 October 2013
<Analyses at 30/18 UTC>
Center position N17°30'(17.5°)
E125°25'(125.4°)
Direction and speed of movement W 30km/h(15kt)
Central pressure 985hPa
Maximum wind speed near the center 30m/s(55kt)
Maximum wind gust speed 40m/s(80kt)
Area of 50kt winds or more ALL90km(50NM)
Area of 30kt winds or more N280km(150NM)
S220km(120NM)
WestPacwx
| Gewijzigd: 30 oktober 2013, 21:59 uur, door Frans24
Om 10.00 AM (lokale tijd Filipijnen) lag het ooge van tyfoon Vinta / Krosa op 200 km ten oosten van Aparri (Cagayan). De gemiddelde windsnelheid ligt op 150 km/h. Het syteem trekt naar het west-noordwesten met een snelheid van 26 km/h. Tyfoon Vinta zal hedenmiddag aan land komen in het noorden van Cagayan. Vrijdagochtend zal het systeem op 240 km ten westen van Laoag Stad liggen en buiten de verantwoordingsgebied (PAR) van de Filipijnen.





© onweer-online
Bron: PAGASA, Wunderground


Tyfoon Krosa laat haar furie los op het eiland Luzon (Filipijnen). Er worden windstoten van 100 km/h verwacht op het noordelijk gedeelte van het eiland. Echter zal de tyfoon ver te noorden van Manila en andere dichtbevolkte steden blijven. Morgen worst er 125-250mm neerslag verwacht. Hierdoor kunnen er overstromingen en modderlawines ontstaan. Alhoewel de interactie met het land de tyfoon iets afzwakt, zal Krosa nog steeds een tyfoon zijn als deze op vrijdag de Zuid Chinese Zee bereikt. In het weekeind blijft het systeem boven open water. Verder in het weekeind zal het systeem afzwakken tot een tropische storm door invloed van de windshear en de koelere oceaanwateren. Dit proces van afzwakking zet zich aan het begin van volgende week voort. Krosa zal dan het eiland Hainin net aantippen of er ten oosten van passeren. Vervolgens zet het systeem koers richting het midden van Vietnam en het zuiden van Laos. Het is mogelijk, dat het systeem al is afgezwakt tot een tropische depressie of storing als deze aan land komt. Maar nog steeds neemt Krosa veel regen met zich mee met alle gevolgen van dien.
© onweer-online
Bron: Accuweather

Tyfoon Krosa heeft de Filipijnen verlaten en trekt nu in westerlijke richting naar Vietnam. Destructieve wind, stortregens met overstromingen en een grote stormsurge plaagden het Luzon eiland tijdens de doortocht van tyfoon Krosa. In Aparri, een dorp langs de noordkust van Luzon, werd een windstoot gemeten van 107 km/h. Door de interactie met land is Krosa iets afgezwakt, maar heeft nog steeds de tyfoonstatus. Het systeem blijft dit weekeind boven open zee. Zondag buigt het systeem af naar het zuidoosten.
© onweer-online
Bron: accuweather
Berichtgeving TC Krosa / Vinta (West Pacific)














