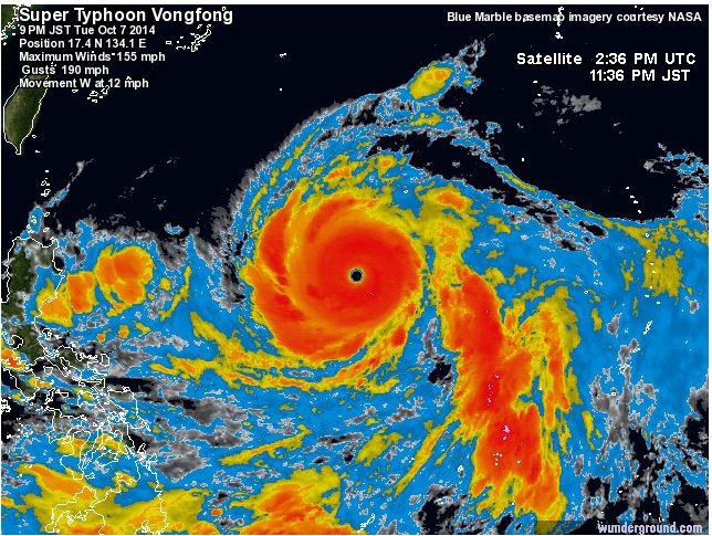
Super Tyfoon Vongfong is vannacht uitgegroeid tot de sterkste tropische cycloon van 2014.
Maximale aanhoudende winden waren gegroeid tot een geschatte 180 mph, het equivalent van een potentieel katastrofisch categorie 5 orkaan, volgens Joint Typhoon Warning Center van het Amerikaanse leger.

Michael Lowry, storm specialist voor The Weather Channel. denkt dat Vongfong is de sterkste storm op aarde is sinds Haiyan vorig jaar. Haiyan doodde meer dan 6.000 mensen op de Filippijnen in november 2013 met een maximale aanhoudende winden geschat op 195 mph door JTWC.
Volgens het Japanse Meteorologisch Agentschap, heeft Vongfong typhoon Genevieve nu overtroffen door de schatting van de centrale druk (900 millibar). Op de JMA tyfoon intensiteit schaal, is Vongfong de derde "gewelddadige tyfoon" van 2014, na Genevieve en Halong.

Het is nog te vroeg om zeker te zijn ten aanzien van specifieke gevolgen van Vongfong op Japan. De Tyfoon zal weer in kracht afnemen, echter, op dit moment lijkt het erop dat Vongfong uiteindelijk zaterdag tot en met dinsdag ver genoeg op het westen en het noorden aan koerst en ten minste zal zorgen voor harde wind, zware regen en stormvloed met overstromingen op Okinawa, Kyushu, Shikoku, en de centrale en oostelijke Honshu.
Bronnen: weather.com, meteoweb
Terwijl Europa gebukt gaat onder een in kracht toenemende straalstroom op de Atlantische Oceaan (inclusief storingen met buien en windstoten), moeten ze in de regio rond Japan vrezen voor de Super Tyfoon Vongfong. Het lagedrukgebied is inmiddels uitgegroeid tot een grootschalig systeem met enorme energie. De trekrichting van dit slechte weer en vermoedelijk ook wind- en waterschade is naar het noorden. Richting de eilanden van en rond Japan. Verwacht wordt dat het systeem Vongfong de komende uren en dagen opnieuw in kracht zal afnemen tot een categorie 2 orkaan met nog steeds de nodige forse windstoten.
Eigenlijk moeten we de vergelijking maken met de situatie op de Atlantische Oceaan en de situatie in de Grote of Stille Oceaan. De verschillen zijn enorm. Ondanks een voorspelde El-Ninö in 2014 is het zeewater in de Atlantische Oceaan niet abnormaal warm geworden waardoor systemen (lagedrukgebied) maar met moeite kunnen ontstaan. De windschering trekt enige organisatie aldaar sowieso in flarden.
Bron: Super Tyfoon Vongfong (een tweede Haian)
| Gewijzigd: 8 oktober 2014, 21:07 uur, door Supercell
Taifun VONGFONG ist in der Nacht auf die südjapanische Hauptinsel Kyushu getroffen. Mindestens eine Person wird vermisst, 45 Menschen wurden bis jetzt verletzt. Der Taifun ist gegen Mitternacht unserer Zeit in der Nähe des Ortes Makurazaki an Land gegangen. Bereits am Wochenende hat der Taifun in der japanischen Präfektur Okinawa fast 400 Liter Regen auf den Quadratmeter und Sturmböen bis 180 Stundenkilometer gebracht. Die Wellen an der Küste türmten sich meterhoch auf.

Bron: wetteronline.de | Gewijzigd: 13 oktober 2014, 09:29 uur, door Lako
Super Tyfoon Vongfong zwaarste cycloon van 2014?




