Gepubliceerd op 7 nov 2013: Typhoon Haiyan or Yolanda has now made a third landfall in northern Cebu still as a Violent Typhoon. The storm has now been blamed for one death and wide spread catostrophic damage along the eastern sea board of the Philippines.
Typhoon Haiyan / Yolanda Landfall Update
Gepubliceerd op 7 nov 2013
Typhoon Haiyan or Yolanda has made landfall along Southern Samar and then a second landfall on Leyte as a record breaking Typhoon with winds on a 1 minute wind scale via JTWC at 314kph. That is stronger than the max winds in Typhoon Tip and the equivalant of the winds typically found in a EF3 to EF4 Tornado. The difference is the wind around the eye wall of this monster is about 100kph wide.
Bron: WestPac Wx | Gewijzigd: 8 november 2013, 08:03 uur, door Marga
Het dodental door monstertyfoon Haiyan is opgelopen naar drie. Twee mensen werden geëlektrocuteerd door omgevallen elektriciteitspalen. Een derde persoon werd getroffen door de bliksem. Minstens zeven mensen raakten gewond. Eén van de gewonden is getroffen door de bliksem. De anderen raakten gewond door vallende objecten.
© onweer-online
Bron: Strait Times
Marga: Het nieuws uit het rampgebied komt maar met mondjesmaat binnen. Gezien de grootte en intensiteit van deze monstertyfoon zal het dodental vermoedelijk snel gaan stijgen.

Westernpacificweather op Fabebook:
Super Typhoon #YOLANDAph #HAIYAN
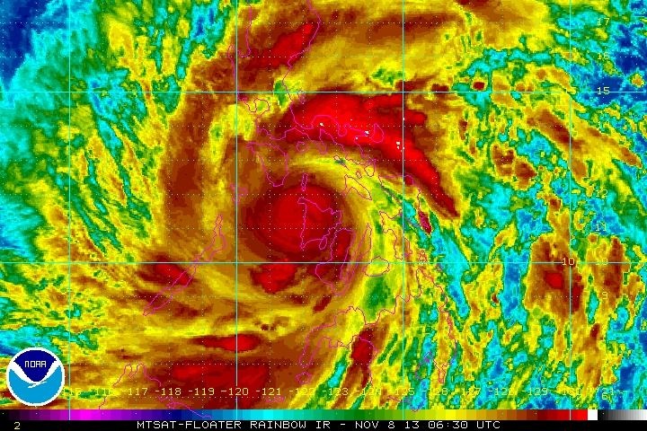
Storm Statistics from JMA
November 08 1400 PHT / 0600 GMT
Coordinates: 11.4N 122.6E
Relative Position 1: 26km SW of Roxas City, Capiz
Relative Position 2: 77km N of Iloilo City
Relative Position 3: 42km SE of Kalibo, Aklan
Max Winds: 195kph
Gusts: 280kph
Movement: W @ 41kph
Het is voor ons misschien wat ver weg, maar niet minder indrukwekkend. De tyfoon Haiyan (op de Filipijnen bekend als Yolanda) die vandaag over de eilandengroep trekt, is onvoorstelbaar zwaar. Op het moment dat Haiyan in het oosten aan land kwam, stonden er rond de kern orkaanwinden met een gemiddelde snelheid van rond 280 kilometer per uur. In windstoten bereikte de wind soms snelheden boven 350 kilometer uur. In het waarschuwingsbericht voor de tyfoon stond ook vermeld dat de golfhoogte maximaal rond 15 meter (!) zou bedragen.

Er was de afgelopen dagen op de Filipijnen al volop voor de storm gewaarschuwd. Niet voor niets, want het gaat om de zwaarste storm die in elk geval dit jaar wereldwijd is voorgekomen. Maar waarschijnlijk moeten we veel verder in de geschiedenis terug om een storm van een vergelijkbaar kaliber te vinden. Door de bevolking op tijd te waarschuwen, hoopten de autoriteiten het mogelijk te maken dat zoveel mogelijk mensen op tijd een veilig heenkomen konden zoeken. Nu hebben de Filipijnen een lange ervaring met orkanen, dus wist iedereen wat hem te doen stond. Volgens de laatste berichten lijken die maatregelen succes te hebben. Hoewel de schade in de getroffen gebieden (natuurlijk) enorm is, lijkt het aantal slachtoffers vooralsnog mee te vallen.

Een foto van vanochtend, toen Haiyan aan land kwam. Hier hoef je eigenlijk weinig bij uit te leggen. De storm in zijn machtigste vorm en wat een oog! Je zult je maar in de baan van zo'n storm bevinden. Daar moet je niet aan denken.
Tyfoon is een orkaan
Een tyfoon is als weersysteem vergelijkbaar met de orkanen zoals die op de Atlantische Oceaan voorkomen. Ze ontstaan boven zeewater met een temperatuur van meer dan 27 graden. Nu worden de Aziatische zeeën en de Grote Oceaan in het verre oosten in de loop van de zomer bijzonder warm. Regionaal lopen de watertemperaturen er tot boven 30 graden op. Daarmee zijn de zeeën daar een machtige bron voor en aanjager van orkanen, die daar tyfoons worden genoemd. Het orkaanseizoen in het verre oosten is meestal een stuk actiever dan het orkaanseizoen op de Atlantische Oceaan, dat door zijn nabijheid bij ons meestal meer aandacht krijgt. Landen als de Filipijnen, Japan, de Korea’s, Vietnam en ook China liggen op een plaats waar bijna jaarlijks tyfoons aan land komen.

De koers van Haiyan de komende dagen. Vanmiddag al verlaat de storm de Filipijnen. Daarna gaat hij op weg naar Vietnam, waar hij in de nacht naar zondag wordt verwacht. Intussen neemt de kracht wel wat af, maar blijft het een zeer gevaarlijke tyfoon. Bron: Joint Typhoon Center.
Eerst buien
Het begint allemaal met een buiengebied, waarvan de buien om elkaar heen gaan draaien. Het systeem krijgt dan een eerste vorm van organisatie en wordt vanaf dat moment nauwlettend in de gaten gehouden. Daarna ontstaat een tropische depressie. Zo’n depressie krijgt een eerste naam en wordt genoemd naar de lengtegraad waar hij tot ontwikkeling kwam. In het geval van Haiyan was dat 31W, 31 graden west dus. De volgende stap is die naar een tropische storm. Zodra de wind rond de kern een snelheid van 35 knopen bereikt (55 km/u) krijgt de depressie een eigen naam, in dit geval Haiyan. De Filippijnse weerdienst hanteert overigens de naam Yolanda. De laatste stap is die naar tyfoon. Zodra de wind rond de kern orkaankracht heeft bereikt, is het zover. Haiyan is inmiddels zelfs uitgegroeid tot een tyfoon van de 5e categorie, de hoogste categorie, en is daarmee een super tyfoon. Voor we het nu kunnen overzien, is het de zwaarste sinds Olivia (1996, Australië). Tijdens die storm zijn destijds windstoten tot net boven 400 kilometer per uur geregistreerd.
Storm wordt steeds ronder
Terwijl de storm zwaarder wordt, zie dat zijn organisatiegraad op satellietfoto’s steeds verder toeneemt. Eigenlijk wordt de storm steeds ronder, want dat is de meest perfecte organisatiegraad van een weersysteem. Als het echt hard begint te waaien, vormt zich in het midden van de storm het karakteristieke oog, dat we van orkanen zo goed kennen. Er omheen liggen de buienwolken die behalve de vele wind ook enorme hoeveelheden regen brengen, soms vele honderden millimeters tijdens de passage van zo’n storm. Overstromingen kunnen hiervan het gevolg zijn en de wind richt in combinatie met dat water vaak enorme schade aan.
Vloedgolf
Een derde gevaar is de vloedgolf waarmee zo’n naderende storm gepaard gaat, als hij eenmaal van volle zee aan land komt. De combinatie van de wind en drukverschillen nabij de kern van de tyfoon maakt dat een enorme hoeveelheid zeewater richting de kust wordt opgestuwd. Een aantal jaar geleden zagen we dat bij Katrina, de orkaan die in het zuiden van de VS de stad New Orleans trof, ook heel goed. Een vloedgolf van ongeveer 7 meter hoogte drong daar soms tientallen kilometers het land binnen en richtte alleen al op die manier grote schade aan. In het geval van Haiyan kan zo’n vloedgolf plaatselijk natuurlijk nog veel hoger zijn geweest. Op volle zee bereikten de golven hoe dan ook een hoogte van 15 meter, zo werd in de berichten gewaarschuwd.
Vanmiddag alweer op zee
De verwachting is dat Haiyan, die behoorlijk snel trekt, vanmiddag aan de westkant van de Filipijnen alweer de zee op gaat. Het hoge trektempo is een geluk bij een ongeluk, want hierdoor krijgt de storm maar kort de tijd om zijn verwoestende werk te doen en valt het met de overstromingen mogelijkerwijs ook mee. Hierna gaat de storm verder in de richting van Vietnam, waar Haiyan in de nacht naar zondag wordt verwacht. De wind rond de kern is op dat moment naar verwachting afgenomen tot snelheden rond 180 kilometer per uur met vlagen tot boven 200 kilometer per uur. Zodra de tyfoon in Vietnam aan land is gegaan, neemt hij snel verder in kracht af. Het zijn dan de regens die de grootste bedreiging vormen voor de gebieden waar het weersysteem doorheen trekt.
Tyfoon in Nederland onmogelijk
Een tyfoon als Haiyan is in Nederland niet mogelijk. Het zeewater in onze omgeving is er (zelfs in de zomer) eenvoudigweg veel te koud voor. Toch kan het bij ons ook hard stormen, tot orkaankracht aan toe, zo weten we sinds 28 oktober weer, maar dan door ‘normale’ lagedrukgebieden.
Bronnen: Meteo Consult, Joint Typhoon Center | Gewijzigd: 30 januari 2017, 15:42 uur, door Joyce.s
Onweersdagen: 0

Typhoon #yolanda / Haiyan now in the Sulu Sea West of Visayas, still off towards Palawan at sunset.
Resident clearing roads in SURIGAO CITY. Open road ways are key to getting supplies to those most severely
Situation in Aklan during the height of the Typhoon.
Its hard to tell, but this screen capture from a video online shows water up to the second story in buildings in Tacloban.

Via @ancalerts cargo vessel run ashore.
Bron: West Pacific Weather | Gewijzigd: 30 januari 2017, 15:43 uur, door Joyce.s

De Filipijnen worden geteisterd door een van de zwaarste tropische stormen ooit. Miljoenen bewoners van de Oost-Aziatische eilandarchipel hebben een veilige schuilplaats moeten opzoeken. De supertyfoon Haiyan kent windsnelheden van boven de 300 kilometer, met uitschieters naar maar liefst 379 kilometer per uur. © ap

Workers examine the damage after a giant Christmas tree was toppled by strong winds at the onslaught of the powerful typhoon Haiyan that hit the island province of Cebu, Philippines, Friday Nov. 8, 2013. (AP Photo/Chester Baldicantos)
Bron: HLN
| Gewijzigd: 13 februari 2017, 16:03 uur, door Joyce.s
<Analyses at 08/09 UTC>
- Scale - Intensity Violent
- Center position N11°30'(11.5°) E121°35'(121.6°)
- Direction and speed of movement W 40km/h(21kt)
- Central pressure 920hPa
- Maximum wind speed near the center 55m/s(105kt)
- Maximum wind gust speed 75m/s(150kt)
- Area of 50kt winds or more ALL130km(70NM)
- Area of 30kt winds or more NE500km(270NM) SW280km(150NM)

Bron: JMA
Last Updated: 8-11-2013, 07:00:00 (West-Europa (standaardtijd))
Wind: 270 KPH
Location: 11.4N 237.4E
Movement: W at 25 mph



Bron: Wunderground
SUPER TYPHOON 31W (HAIYAN) WARNING NR 021
01 ACTIVE TROPICAL CYCLONE IN NORTHWESTPAC
MAX SUSTAINED WINDS BASED ON ONE-MINUTE AVERAGE
---
WARNING POSITION:
080600Z --- NEAR 11.4N 122.6E
MOVEMENT PAST SIX HOURS - 280 DEGREES AT 22 KTS
POSITION ACCURATE TO WITHIN 020 NM
POSITION BASED ON EYE FIXED BY SATELLITE
PRESENT WIND DISTRIBUTION: MAX SUSTAINED WINDS - 145 KT (268 km/h) , GUSTS 175 KT (324 km/h)


Bron: JTWC
Issued at: 5:00 p.m., 08 November 2013
(click here to view 5 p.m., 24-Hour Weather Forecast and Extended Weather Outlook for Selected Cities)
At 4:00 pm today, the eye of Typhoon "YOLANDA" was located based on all available data including Mactan Doppler radar at 115 km west of Roxas City or over the water off the western coast of Antique (11.4°N, 121.7°E) with maximum sustained winds of 215 kph near the center and gustiness of up to 250 kph. It is forecast to move West Northwest at 40 kph.
@dost_pagasaHourly Update: #YolandaPH (8PM November 8, 2013) The eye of Typhoon “YOLANDA” was at the vicinity of Busuanga, Palawan (11.8°N, 120.6°E).

Bron: PAGASA
De Filipijnen worden geteisterd door de zwaarste storm van het afgelopen jaar. Honderdduizenden inwoners zijn geëvacueerd en schuilen voor supertyfoon Haiyan. De Filipijnse eilanden worden zeer regelmatig getroffen door tropische stormen, hoe kan dat?
De Filipijnen behoren tot de landen die wereldwijd het meest getroffen worden door natuurrampen zoals aardbevingen, overstromingen en wervelstormen. Jaarlijks razen er zo'n twintig tyfoons over de Filipijnen. Dat komt doordat de Filipijnen op een actieve aanvoerroute van tyfoons liggen, die vanuit de eilanden in de Grote Oceaan naar Azië trekken.
Deze foto is niet meer beschikbaar
Legazpi, de hoofdstad van de Filipijnse provincie Albay op Luzon. © ap.
Warm tropisch water
Een tyfoon is niets anders dan de Aziatische benaming voor een orkaan, legt Weeronline.nl uit. Het is een tropische storm die boven het water van de Grote Oceaan ontstaat. Tyfoons ontstaan uit een groot gebied met samengesmolten onweersbuien vanaf de tropen en hebben warm tropisch water nodig om zich te kunnen ontwikkelen. De temperatuur van het zeewater moet meer dan 27 graden zijn. Het water in het verre oosten bereikt in de zomer vaak temperaturen rond de 30 graden. Het warme water zorgt voor extra voeding van onderaf, waardoor zulke complexen soms uitgroeien tot een orkaan.
De storm Haiyan geldt als een van de gevaarlijkste tyfoons van de afgelopen tien jaar. Inmiddels zijn al windsnelheden van 300 kilometer per uur gemeten. Door de harde wind ontstaan golven van zeker vijf meter hoog, maar gewaarschuwd wordt voor golven van maximaal vijftien meter hoog.
De supertyfoon Haiyan staat in de Filipijnen bekend als Yolanda. De beginletter van de naam geeft het nummer van de tyfoon aan, dat wil zeggen dat Yolanda al de 25ste tropische storm is die over het land raast. De naam Haiyan is vastgesteld door de Wereld Meteorologische Organisatie (WMO). Alle orkaannamen worden door de WMO op alfabetische volgorde benaamd volgens een vooraf opgesteld schema.
Deze foto is niet meer beschikbaar
© afp.
Weerbaarheid van inwoners
De Filipijnen bestaat uit meer dan 7.000 eilanden en heeft meer dan 98 miljoen inwoners. Het grootste deel van de inwoners woont buiten de hoofdstad Manilla. Op veel eilanden van de Filipijnen wordt al jaren gewerkt aan projecten om de weerbaarheid van inwoners tegen natuurrampen te verhogen. Een groot probleem onder de bevolking was lange tijd de gebrekkige voorbereiding. Dat lijkt nu beter te zijn, het aantal slachtoffers valt tot nu toe mee.
Een ander probleem in het land is de ontbossing. Door houtkap en mijnbouw zijn veel hellingen kaal, waardoor bij een storm of hevige regenval veel sneller landverschuivingen en modderstromen ontstaan. Ook de kap van mangrovebossen aan de kust voor de garnalenteelt leidt tot grotere schade bij rampen. Die bossen vormen een natuurlijke buffer tegen de zee.
Bron: HLN
Onweersdagen: 0
Berichtgeving TC Haiyan / Yolanda 31W (West Pacific)








